Działka na sprzedaż
ul. Majerczykówka Poronin Majerczykówka

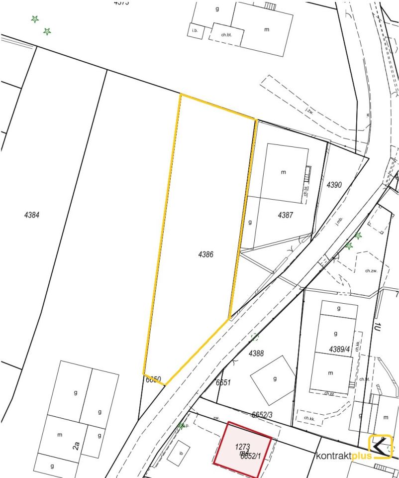
Działka inwestycyjna Poronin Majerczykówka, ul. Majerczykówka. Zdjęcie 1
Działka inwestycyjna Poronin Majerczykówka, ul. Majerczykówka. Zdjęcie 2
Działka inwestycyjna Poronin Majerczykówka, ul. Majerczykówka. Zdjęcie 3

Działka na sprzedaż Poronin Majerczykówka ul. Majerczykówka

650 000
669 zł/m²
972
Poronin Majerczykówka, Majerczykówka - lokalizacja przybliżona

Właściciel powierzył sprzedaż nieruchomości pośrednikowi. Możesz zadzwonić lub napisać do agenta za darmo.

PORONIN - MAJERCZYKÓWKA
DZIAŁKA 972 m² W MALOWNICZEJ, KAMERALNEJ LOKALIZACJI
Z PEŁNYM UZBROJENIEM I WYJĄTKOWYM POTENCJAŁEM

Na sprzedaż wyjątkowa działka położona w jednej z najpiękniejszych i najbardziej pożądanych części Poronina — na Majerczykówce. To miejsce, które od pierwszej chwili daje poczucie przestrzeni, spokoju i tego charakterystycznego podhalańskiego klimatu, którego nie da się pomylić z żadnym innym regionem.
Najważniejsze atuty:


powierzchnia: 972 m² ,
pełne media: woda, kanalizacja, prąd, telekomunikacja ,
świetnie usytuowana pod projekt o nietuzinkowej, wydłużonej formie zabudowy,
otoczenie gwarantujące prywatność i widoki, które potrafią zatrzymać człowieka na dłużej,
idealna zarówno pod nowoczesną, smukłą architekturę, jak i funkcjonalny dom jednorodzinny czy obiekt pod wynajem.


Kształt działki sprzyja inwestorom, którzy cenią dopracowaną, kompaktową zabudowę — taką, która wykorzystuje przestrzeń maksymalnie efektywnie i pozwala stworzyć projekt wyróżniający się na tle standardowych realizacji.
To idealna opcja dla osób szukających nieruchomości „z charakterem”, a jednocześnie w pełni przygotowanej pod budowę.
Majerczykówka od lat przyciąga tych, którzy chcą mieszkać lub inwestować w miejscu spokojnym, widokowym, a jednocześnie świetnie skomunikowanym z Zakopanem i najważniejszymi punktami regionu.

Cena ; 650 000 zł do negocjacji!
Kontakt do agenta :
Wiktoria Szyler
Tel. [numer]
Zadzwoń, jeśli chcesz umówić się na prezentację. To jedna z tych działek, które najlepiej poznaje się na żywo — kiedy stoisz na miejscu i czujesz, że to może być "to"

Pośrednik odpowiedzialny zawodowo za wykonanie umowy pośrednictwa: Elżbieta Minkina-Kwaśny (licencja nr: 1406)

  • ul. Majerczykówka, Poronin Majerczykówka, powiat tatrzański  
  • Na sprzedaż działka inwestycyjna o powierzchni 972 m²  
  • Wymiary Szerokość: 20 m
  • Ogłoszenie biura nieruchomości  
  • Oferta dodana przedwczoraj
Ta nieruchomość może być Twoja od.. sprawdź
130000 zł (20%) Okres spłaty: 30 lat

Podobne działki na sprzedaż

3
Działka inwestycyjna Groń

500 000

5400

Do sprzedania działka inwestycyjna o wielkości 5400 m kwadratowych. Położona na pograniczu terenu Białki Tatrzańskiej i Gronia. Dojazd bądź bezpośrednio z drogi asfaltowej, bądź ulicą dojazdową. Działka w kształcie prostokąta, przez którą płynie strumyk, więc można założyć hodowlę ryb, pole namiotow...

Zobacz ogłoszenie
7
Działka inwestycyjna Kościelisko, ul. Mocarni Boczna

800 000

1438

Jeśli szukasz spokoju i marzysz o własnym kawałku Podhala, to mam ofertę sprzedaży dwóch wyjątkowych działek rolnych o powierzchni 716m2 i 722m2 znajdujących się w malowniczym Kościelisku, z zachwycającym widokiem na panoramę Tatr. Niewiele już zostało działek o podobnych walorach widokowych. To ide...

Zobacz ogłoszenie
7
Działka inwestycyjna Kościelisko, ul. Mocarni Boczna

400 000

719

Oferta sprzedaży działki nr. 982 /15 bez pośredników. To idealne miejsce na inwestycję. Działka nie posiada dostępu do drogi publicznej. Chociaż obecnie nie ma możliwości zabudowy, działka oferuje potencjał zarówno inwestycyjny, jak i wypoczynkowy. Idealne pod dom wakacyjny lub kompleks na wynajem t...

Zobacz ogłoszenie
14
Działka inwestycyjna Dzianisz

620 000

1588

Widokowa  budowlana działka 1588m2 w Dzianisz/Kościelisko. Lokalizacja: Dzianisz znajduje się na Pogórzu Spisko-Gubałowskim, u północnych podnóży Palenicy Kościeliskiej (1183 m). W Dzianiszu znajduje się drewniany kościół Matki Bożej Częstochowskiej, zbudowany w latach 1932-1937, zachowujący styl t...

Zobacz ogłoszenie
3
Działka inwestycyjna Poronin

550 000

2832

Witam serdecznie. Działka z widokiem na całe Podhale , w sąsiedztwie zabudowa domów tradycyjnych i drewnianych z bali na zgłoszenie-do 75m2( od wrzesnia 2020 już nie trzeba takich domków zgłaszać) ,hotel Termy Bukowina Tatrzańska-400m. Wszystkie media kanalizacja , woda , prąd , droga gminna (polna)...

Zobacz ogłoszenie
8
Działka inwestycyjna Czarna Góra

800 000

2037

Na sprzedaż wyjątkowa działka budowlana o powierzchni 20 arów, położona w malowniczej miejscowości Czarna Góra, w bezpośrednim sąsiedztwie Bukowiny Tatrzańskiej. Lokalizacja idealna pod inwestycję pensjonatową - działka znajduje się w miejscowym planie zagospodarowania przestrzennego z przeznaczeni...

Zobacz ogłoszenie