Działka na sprzedaż bez pośredników
ul. Powstańców Śląskich Skrzyszów

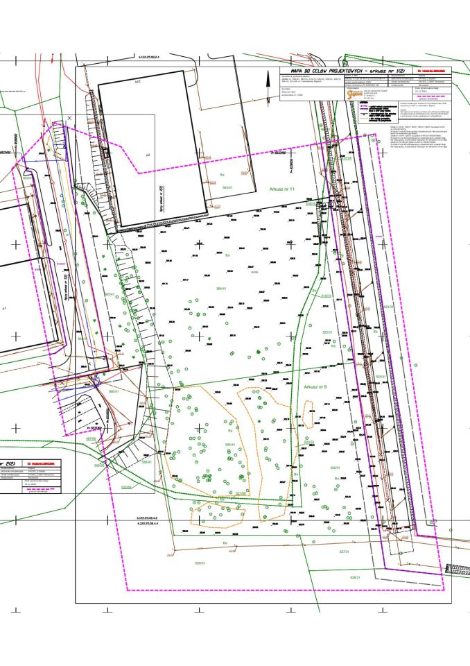
Działka inwestycyjna Skrzyszów, ul. Powstańców Śląskich. Zdjęcie 1

Działka na sprzedaż bez pośredników Skrzyszów ul. Powstańców Śląskich

21 692
Skrzyszów, Powstańców Śląskich - lokalizacja przybliżona
Bezpośrednio od właściciela

Jeśli nie potrzebujesz pośrednika, zaoszczędzisz prowizję. Potrzebujesz wsparcia? Skorzystaj z pomocy agenta.

Przedmiotem sprzedaży jest nieruchomość niezabudowana położona w gminie Godów o łącznej powierzchni 2.1692 ha obręb Skrzyszów, karta mapy 9 składająca się z działek gruntowych o numerach ewidencyjnych: 519/74, 520/74 (KW GL1W/00051883/6), 521/69 (KW GL1W/00077458/6), 525/31, 526/31, 565/41, 584/41, 585/41 (KW GL1W/00077457/9). Księgi wieczyste prowadzone są przy Sądzie Rejonowym w Wodzisławiu Śląskim. Wydziale V Ksiąg Wieczystych a Katowickiej Specjalnej Strefie Ekonomicznej S.A. do nieruchomości służy prawo własności. Nieruchomość przeznaczona jest pod realizację inwestycji produkcyjnej.
Nieruchomość ogrodzona z 3 bramami wjazdowymi, droga dojazdowa asfaltowa, teren wykarczowany przygotowany pod budowę.
Bardzo dobra lokalizacja: dojazd do autostrady A1 to 9 km , blisko granicy z Czechami co daje możliwość rozszerzenie działalności i wejścia nowy rynek.
Działki położone na terenie przemysłowym Katowickiej Specjalnej Strefy Ekonomicznej mają prawnie zapewniony dostęp do drogi publicznej – ulicy Powstańców Śląskich


Niniejsze ogłoszenie jest wyłącznie informacją handlową i nie stanowi oferty w myśl art.66 par1 KC

  • ul. Powstańców Śląskich, Skrzyszów, gmina Godów, powiat wodzisławski  
  • Na sprzedaż działka inwestycyjna o powierzchni 2,17 ha (21 692 m²)  
  • Numer ewidencyjny działki 519/74, 520/74, 521/69, 525/31, 526/31, 565/41, 584/41, 585/41
  • Dojazd asfalt
  • Ogrodzenie metalowe
  • Oferta bezpośrednio od właściciela dodana ponad miesiąc temu i zaktualizowana ponad tydzień temu

Podobne działki na sprzedaż

2
Działka inwestycyjna Rogów

420 000

9500

Witam, mam na sprzedaż działkę przemysłowo-inwestycyjną wraz z lasem. CECHY NIERUCHOMOŚCI: • Wymiary: ok. 30m x 120m (możliwość poszerzenia). • Na działce znajduje się wiata ok. 5m x 14m. • W sumie z lasem wychodzi niecały hektar. • Działka jest utwardzona. • Na placu znajdują się 2 osobne przyłą...

Zobacz ogłoszenie
8
Działka inwestycyjna Skrzyszów, ul. Powstańców Śląskich

2 494 580

2,17 ha

NIERUCHOMOŚĆ GRUNTOWA POD INWESTYCJĘ - GMINA GODÓW Przedmiotem sprzedaży jest nieruchomość niezabudowana, położona w gminie Godów, o łącznej powierzchni 2.1692 ha, obręb Skrzyszów, karta mapy 9, składająca się z działek gruntowych o numerach ewidencyjnych: - 519/74, 520/74 (KW GL1W/00051883/6) - 52...

Zobacz ogłoszenie
7
Działka inwestycyjna Czyżowice, ul. Nowa

425 000

5111

Działka inwestycyjna/budowlana w Czyżowicach (44-352) położona przy strefie przemysłowej, ulica NOWA Powiat Wodzisław Śląski, gmina Gorzyce Powierzchnia 5111 m2, składa się z 2 działek o powierzchni 4371 (C5PU) i 740 (C5PU i C6USI) m2 które razem tworzą prostokąt jak zaznaczono na mapkach Teren pła...

Zobacz ogłoszenie
3
Działka inwestycyjna Czyżowice, ul. Nowa

350 000

6197

Opis nieruchomości Działka inwestycyjna w Czyżowicach (44-352), położona przy strefie przemysłowej, ulica NOWA. Powiat Wodzisław Śląski, gmina Gorzyce. Powierzchnia: 6197 m² Dojazd drogą asfaltową bez ograniczeń tonażowych (40 ton), ostatnie 100m drogą utwardzoną. Dojazd z autostrady A4: zjazd G...

Zobacz ogłoszenie
8
Działka inwestycyjna Wodzisław Śląski, ul. Wolności

99 000

392

Sprzedam działkę usługową - Wodzisław Śląski, ul. Wolności 57 Na sprzedaż działka usługowa o powierzchni 392 m², położona w Wodzisławiu Śląskim przy ulicy Wolności 57 (oznaczenie J10U). Idealna lokalizacja pod działalność usługową, magazynową, biurową lub niewielki punkt handlowy. Podstawowe infor...

Zobacz ogłoszenie
3
Działka inwestycyjna Buków

23 000 000

23 ha

Sprzedam teren przemysłowy o powierzchni około 23 ha, z zabudowaniami: biurowiec, hale warsztatowe, budynek socjalny. Część placu wybetonowana. Woda, gaz, prąd. Wjazdy (kilka) z drogi wojewódzkiej. Odległość od węzłów na A1 Chałupki (Bohumin), Gorzyce - ok. 14 km. Ogłoszenie ma charakter informacy...

Zobacz ogłoszenie