Działka na sprzedaż bez pośredników
ul. Monopolowa Zwierzyniec Borek Drugi

Działka budowlana Zwierzyniec Borek Drugi, ul. Monopolowa. Zdjęcie 1

Działka na sprzedaż bez pośredników Zwierzyniec Borek Drugi ul. Monopolowa

320 000
262 zł/m²
1 221
Zwierzyniec Borek Drugi, Monopolowa - lokalizacja przybliżona
Bezpośrednio od właściciela

Jeśli nie potrzebujesz pośrednika, zaoszczędzisz około 9 600 zł. Potrzebujesz wsparcia? Skorzystaj z pomocy agenta.

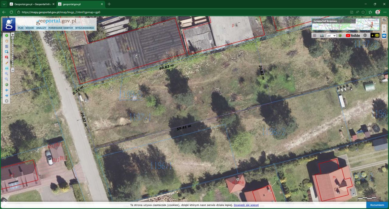
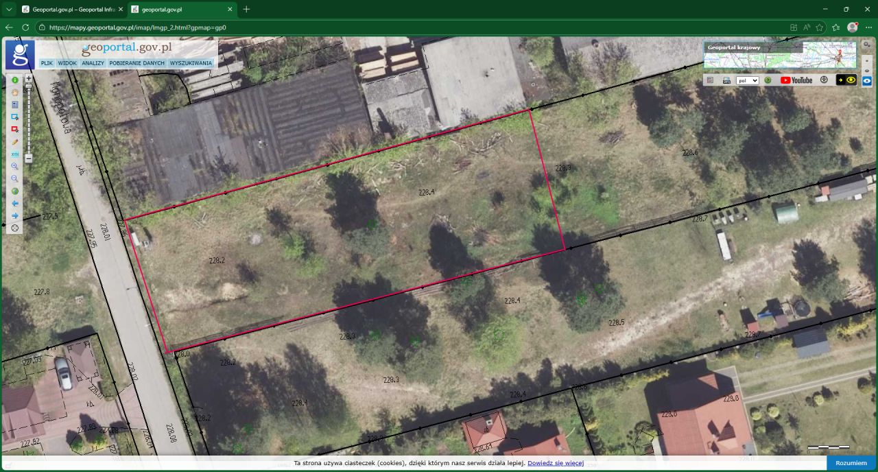
Działka o powierzchni 1221 m 2 , położona w Zwierzyńcu w powiecie zamojskim, w sąsiedztwie lasu, w sercu Roztoczańskiego Parku Narodowego .

Działka płaska, niezabudowana, w kształcie zbliżonym do prostokąta.

Wymiary : 20 x 50 m.

Dojazd gminną drogą z kostki brukowej .

Uzbrojenie: prąd, woda, gaz, kanalizacja w drodze przy działce.

  • ul. Monopolowa, Zwierzyniec Borek Drugi, powiat zamojski  
  • Na sprzedaż działka budowlana o powierzchni 1 221 m²  
  • Numer ewidencyjny działki w geoportal.gov.pl 1197/1
  • Wymiary Długość: 50 m, szerokość: 20 m
  • Dojazd asfalt
  • Ogrodzenie inne
  • Media woda nieprzyłączona, kanalizacja, prąd nieprzyłączony, gaz nieprzyłączony
  • Cena do negocjacji  
  • Oferta bezpośrednio od właściciela dodana ponad miesiąc temu i zaktualizowana ponad tydzień temu
Ta nieruchomość może być Twoja od.. sprawdź
64000 zł (20%) Okres spłaty: 30 lat

Podobne działki na sprzedaż

7
Działka budowlana Zwierzyniec, ul. Rudka

229 000

1168

Na sprzedaż działka budowlana nr 428/1 o powierzchni 1168 m2 , położona w Zwierzyńcu w niezwykle urokliwym miejscu w sąsiedztwie lasu i pensjonatu "Zacisze", w sercu Roztoczańskiego Parku Narodowego. Działka płaska, niezabudowana, w kształcie prostokątnym. Wymiary : 44,32 m x 26,35 m. Dojazd gmin...

Zobacz ogłoszenie
4
Działka budowlana Ruszów-Kolonia

280 000

6400

Na sprzedaż działka budowlana 64 ary – Kolonia Ruszów, obok Zamościa Szukasz idealnego miejsca na dom lub inwestycję? Ta działka spełni Twoje oczekiwania! Opis nieruchomości: *Powierzchnia: 64 ary *Działka budowlana – możliwość zabudowy jednorodzinnej lub inwestycyjnej *Prąd na działce *Dwa utwar...

Zobacz ogłoszenie
3
Działka budowlana Jacnia

370 000

8000

Działka położona na pięknym malowniczym Roztoczu w miejscowości Jacnia. Działka o numerze ewidencyjnym 1804/2. Zainteresowanych proszę o kontakt telefoniczny.

Zobacz ogłoszenie
2
Działka budowlana Krasnobród, ul. Tomaszowska

350 000

4633

Sprzedam działkę budowlano-leśną o powierzchni 0,45 ar, położoną w miejscowości Krasnobród, ulica Tomaszowska. Działka w kształcie prostokąta. Wymiary: 16,63 x 311,83.

Zobacz ogłoszenie
1
Działka budowlana Zwierzyniec, ul. Jaworowa

390 000

1934

Sprzedam działkę budowlaną w miejscowości Zwierzyniec na Roztoczu. Działka o powierzchni 0,1934 ha, położona przy ulicy Jaworowej, o numerze 54/6. Możliwość podziału działki na dwie. Więcej informacji pod numerem telefonu.

Zobacz ogłoszenie
5
Działka budowlana Żdanów Klucz

350 000

6948

Sprzedam działkę budowlaną z wydanymi Warunkami Zabudowy w gminie Zamość, położone miejscowość Żdanów. Identyfikator działki: 062014_2.0033.36 Powierzchnia: 6948 m², ok. 69a Lokalizacja: Spokojna i przyjazna w pobliżu skrzyżowania dróg Zamość - Krasnobród, Płoskie - Pniówek, 1 km od Zamościa, z ur...

Zobacz ogłoszenie