Działka na sprzedaż bez pośredników
Drzewce  

NOWA OFERTA
Działka budowlana Drzewce. Zdjęcie 1

Działka na sprzedaż bez pośredników Drzewce

75 000
50 zł/m²
1 500
Drzewce - lokalizacja przybliżona
Bezpośrednio od właściciela

Jeśli nie potrzebujesz pośrednika, zaoszczędzisz około 2 300 zł. Potrzebujesz wsparcia? Skorzystaj z pomocy agenta.

Witam Państwa.

Oferta prywatna bezpośrednio od właściciela.

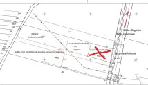
Oferuję działki budowlane, w miejscowości Drzewce gm. Zagórów (odległość od Zagórowa ok. 1km).

Działki są zlokalizowane przy drodze asfaltowej i ścieżce rowerowej.
Posiadają dostęp do wodociągu i energii elektrycznej.
Na wszystkie działki zostały wydane warunki zabudowy.

Cena za m2 (metr kwadratowy): 50 zł - do uzgodnienia.

Do sprzedaży działki:

Dz 418/4 - 1500 m2 - 75.000 PLN
Dz 418/5 - 3000 m2 (możliwość podziału) - cena do negocjacji
Dz 418/6 - 6000 m2 (możliwość podziału) - cena do negocjacji

Na działkę 6000 m2 doprowadzona jest woda.

Podana cena w ogłoszeniu dotyczy tylko jednej działki 1500m2.
Cena działki 1500 m2 to 75.000 zł.

Dodatkowych informacji udzielę telefonicznie.

Tomasz Kopczyński

Nie jest to oferta handlowa w myśl Kodeksu Cywilnego.

  • Drzewce, gmina Zagórów, powiat słupecki  
  • Na sprzedaż działka budowlana o powierzchni 1 500 m²  
  • Dojazd asfalt
  • Media woda
  • Oferta bezpośrednio od właściciela dodana dodana dzisiaj
Ta nieruchomość może być Twoja od.. sprawdź
15000 zł (20%) Okres spłaty: 30 lat

Podobne działki na sprzedaż

1
Działka budowlana Cienin Kościelny

97 500

1500

Na sprzedaż działka budowlana ( zaznaczono kolorem czerwonym) w miejscowości Cienin Kościelny Cena za metr 65 zł (15 arów) Działka przy drodze asfaltowej blisko stacji PKP (Poznań Główny-Konin) . W pobliżu przedszkole, szkoła podstawowa, plac zabaw, delikatesy. W promieniu 4km sklep sieci Dino o...

Zobacz ogłoszenie
8
Działka budowlana Piotrowice, ul. Słupecka

zapytaj

4370

Na sprzedaż działka objęta obowiązującym miejscowym planem zagospodarowania przestrzennego (MPZP), oznaczona symbolem MN,U – teren zabudowy mieszkaniowej jednorodzinnej oraz usług nieuciążliwych. Zgodnie z MPZP możliwa jest realizacja: - domu jednorodzinnego, - domu z funkcją usługową, - zabudowy z...

Zobacz ogłoszenie
8
Działka budowlana Naprusewo

75 000

1002

Działki na sprzedaż budowlano - inwestycyjne. Działki mają powierzchnię od 1002 m2 do 1090 m2 Lokalizacja działek to miejscowość Naprusewo, gmina Ostrowite, powiat Słupecki. Jezioro znajduje się 800 m. od działek, a około 2 km. znajduje się jezioro Powidzkie. Okolica bogata w turystykę więcej inform...

Zobacz ogłoszenie
2
Działka budowlana Benignowo

59 000

1200

Na sprzedaż działka budowlana nr 40/19 o powierzchni 1200 m², położona w miejscowości Benignowo (gm. Słupca). Działka znajduje się w nowo wydzielonym kompleksie działek, gdzie rozpoczęła się już zabudowa jednorodzinna. Najważniejsze informacje: - powierzchnia: 1200 m² - działka nr 40/19 - regularn...

Zobacz ogłoszenie
3
Działka budowlana Drzewce

70 000

1500

Witam Państwa oferuję działki na sprzedaż,WSZYSTKIE DZIAŁKI POSIADAJĄ AKTUALNE WARUNKI ZABUDOWY , SĄ TO DZIAŁKI BUDOWLANE . Zlokalizowane w miejscowości Drzewce gm. Zagórów (odległość od Zagórowa ok. 1km). Działki ulokowane przy drodze asfaltowej i ścieżce rowerowej . Działki posiadają dostęp do w...

Zobacz ogłoszenie
6
Działka budowlana Zagórów, ul. Szubianki

100 000

1000

Sprzedam Leśne Działki Budowlane ! Działki porośnięte lasem świerkowym , na cele zabudowy jednorodzinnej możliwa wycinka i posadowienie obiektu ( bez skomplikowanych formalności) Media: Energetyka-tak Woda-doprowadzona na skraju dzialek Kanalizacja- brak Na przedmiotowym terenie zatwierdzony jes...

Zobacz ogłoszenie