Działka na sprzedaż bez pośredników
Wólka  

Działka budowlana Wólka. Zdjęcie 1

Działka na sprzedaż bez pośredników Wólka

397 000
246 zł/m²
1 617
Wólka - lokalizacja przybliżona
Bezpośrednio od właściciela

Jeśli nie potrzebujesz pośrednika, zaoszczędzisz około 11 900 zł. Potrzebujesz wsparcia? Skorzystaj z pomocy agenta.

Działka budowlana WÓLKA LUBELSKA 16,17 ar Działka budowlana bardzo blisko Lublina - WÓLKA LUBELSKA - o powierzchni 1617 m2. W miejscowym planie zagospodarowania przestrzennego oznaczona symbolem MN/U - "teren zabudowy mieszkaniowej jednorodzinnej z dopuszczeniem zabudowy usługowej". Woda, prąd, gaz, kanalizacja - na granicy działki. Działka nie zachwaszczona - jest uprawiana. Osoby zainteresowane proszę o kontakt, tel. (...)Rozwiń opisDziałka budowlana WÓLKA LUBELSKA 16,17 ar
Działka budowlana bardzo blisko Lublina - WÓLKA LUBELSKA - o powierzchni 1617 m2.

W miejscowym planie zagospodarowania przestrzennego oznaczona symbolem MN/U -
"teren zabudowy mieszkaniowej jednorodzinnej z dopuszczeniem zabudowy usługowej".

Woda, prąd, gaz, kanalizacja - na granicy działki.

Działka nie zachwaszczona - jest uprawiana.

  • Wólka, powiat lubelski  
  • Na sprzedaż działka budowlana o powierzchni 1 617 m²  
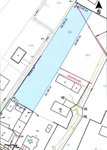
  • Numer ewidencyjny działki 59/2
  • Wymiary Długość: 91 m, szerokość: 18 m
  • Dojazd polny
  • Ogrodzenie bez ogrodzenia
  • Media woda, kanalizacja, prąd, gaz
  • Oferta bezpośrednio od właściciela dodana ponad miesiąc temu i zaktualizowana ponad tydzień temu
Ta nieruchomość może być Twoja od.. sprawdź
79000 zł (20%) Okres spłaty: 30 lat

Podobne działki na sprzedaż

8
Działka budowlana Łuszczów Pierwszy

295 000

2900

SPRZEDAM DZIAŁKĘ BUDOWLANĄ W ATRAKCYJNEJ LOKALIZACJI. * Powierzchnia działki zapewnia możliwość budowy wymarzonego domu. * Działka ma dostęp do mediów: prąd, woda i gaz. * Droga dojazdowa jest asfaltowa, co ułatwia codzienne życie. Nieruchomość znajduje się w podmiejskiej okolicy, w pobliżu lasów ...

Zobacz ogłoszenie
4
Działka budowlana Pliszczyn

300 000

3000

Sprzedam działkę budowlaną. Wszystkie media: gaz, prąd, woda. Działka pod usługi: warsztat, sklep lub inną działalność. Możliwość zamieszkania. Działka znajduje się w okolicach Lublina.

Zobacz ogłoszenie
2
Działka budowlana Łuszczów Drugi

280 000

2600

działka budowlana, zabudowa zagrodowa o powierzchni 26 ar w kształcie prostokąta płaska położona przy głównej trasie Lublin -Łęczna na działce woda i prąd ,działka ogrodzona liczne wieloletnie nasadzenia Cena 250000 tyś całość

Zobacz ogłoszenie
1
Działka budowlana Rudnik

420 000

3600

Witam. Sprzedam działkę w Rudniku, 20 ar, w sąsiedztwie terenów leśnych. Woda, prąd, gaz, kanalizacja. 5 minut do centrum Lublina. Komunikacja miejska (74, 16).

Zobacz ogłoszenie
4
Działka budowlana Sobianowice

385 000

2348

Dzień dobry, Mam na sprzedaż piękną, dużą i ustawną działkę w miejscowości Sobianowice. Działka o numerze 804/13, 23ar, 30m x 78m. MPZP określa działkę jako zabudowa zagrodowa umożliwając postawienie dużego (do 30% powierzchni) domu jednorodzinnego! Działka w pierwszej linii zabudowy, prąd, woda...

Zobacz ogłoszenie
4
Działka budowlana Łuszczów Pierwszy

250 745

4559

Na sprzedaż nieruchomość gruntowa o łącznej powierzchni 4559 m2 zlokalizowana w miejscowości Łuszczów Pierwszy gm. Wólka. Działka znajduje się w I linii zabudowy. Częściowe przeznaczenie działki zgodnie z Miejscowym Planem Zagospodarowania Przestrzennego - MR mieszkalnictwo rolnicze.  Dopuszcza się ...

Zobacz ogłoszenie