Włodarka
Włodarka
działka budowlana na sprzedaż Bez pośrednika

Działka budowlana Włodarka, Włodarka
Cena
165 000
Powierzchnia
1500 m²
Cena za m²
110
Włodarka · 165 000 zł

Ogłoszenie właściciela - bez pośredników

Działka budowlana Włodarka, Włodarka. Zdjęcie 1
NOWA OFERTA dodana 3 godziny temu
Działka budowlana Włodarka, Włodarka. Zdjęcie 1

Bez pośrednika. Oszczędzasz 5 000 zł na prowizji pośrednika!

Na sprzedaż działka budowlana – Włodarka, blisko morza

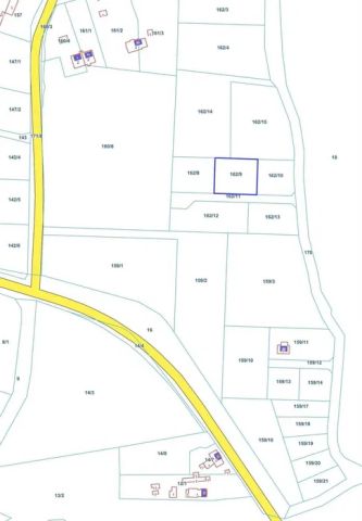
Na sprzedaż działka nr 162/9 o powierzchni 1500 m², położona w miejscowości Włodarka (gmina Trzebiatów), z wydaną decyzją o warunkach zabudowy dla budynku mieszkalnego jednorodzinnego.
Działka zlokalizowana jest w pobliżu popularnych miejscowości nadmorskich: Pogorzelica, Niechorze, Rewal – do morza w linii prostej zaledwie 5 km.

Nieruchomość znajduje się bezpośrednio przy drodze wojewódzkiej, która – dzięki nowo powstałej obwodnicy – nie generuje uciążliwego hałasu. Wzdłuż drogi przebiega ścieżka rowerowa, co dodatkowo zwiększa atrakcyjność lokalizacji. Bliskość morza oraz dobry dojazd sprawiają, że Włodarka staje się idealnym miejscem zarówno do wypoczynku, jak i do zamieszkania na stałe.

Dodatkowe atuty:
• Bliskość miasta Trzebiatów (5 km), gdzie znajdują się liczne sklepy i usługi.
• Dobre połączenie drogowe z okolicznymi miejscowościami nadmorskimi oraz Kołobrzegiem (36 km).

W cenie zawarty jest również udział 1/5 w niezabudowanej działce nr 162/11 o powierzchni 1170 m2, stanowiącej teren wspólny (dojazdowy).

**Istnieje opcja podziału działki na dwie mniejsze – w razie zainteresowania zapraszam do kontaktu w celu omówienia szczegółów.

  • Włodarka, Włodarka, gmina Trzebiatów, powiat gryficki
  • Na sprzedaż działka budowlana o powierzchni 1500 m².
  • Zobacz plan w serwisie geoportal.gov.pl
  • Numer ewidencyjny działki: 162/9
  • Cena do negocjacji
  • Oferta dodana bezpośrednio przez właściciela dzisiaj
Wróć
Największa baza ogłoszeń bez pośredników
Zarejestruj się, aby przejść dalej
lub

Kontynuując akceptujesz
Regulamin i Politykę prywatności

Masz już konto na adresowo.pl?
Zaloguj się

Mamy dla Ciebie kredyt hipoteczny z niską ratą! Chcesz poznać szczegóły?

Kontakt z VeloBank:
- ofertę, wniosek i decyzję o przyznaniu kredytu w procesie online,
- wsparcie eksperta hipotecznego na każdym kroku,
- kredyt do 90% wartości nieruchomości.





Wyrażam zgodę na przetwarzanie moich danych osobowych zawartych w formularzu na stronie adresowo.pl przez VeloBank S.A. z siedzibą w Warszawie przy Rondo Ignacego Daszyńskiego 2C (Bank), a tym samym na ich przetwarzanie, w tym profilowanie, przez Bank w celu marketingu produktów i usług Banku za pośrednictwem rozmowy telefonicznej i sms. Zgoda może być w każdej chwili wycofana. Cofnięcie zgody nie ma wpływu na zgodność z prawem przetwarzania danych przed jej wycofaniem.