Działka na sprzedaż bez pośredników
Rakoszyce  

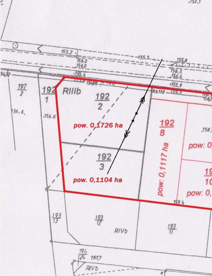
Działka budowlana Rakoszyce. Zdjęcie 1

Działka na sprzedaż bez pośredników Rakoszyce

230 000
133 zł/m²
1 726
Rakoszyce - lokalizacja przybliżona
Bezpośrednio od właściciela

Jeśli nie potrzebujesz pośrednika, zaoszczędzisz około 6 900 zł. Potrzebujesz wsparcia? Skorzystaj z pomocy agenta.

Mam do sprzedania piękną działkę w Rakoszycach, usytuowaną ok. 11 km od Kątów Wrocławskich oraz 6-7 km od Środy Śląskiej, przy drodze.

Jest to ostatnia działka - rogowa, w pasmie zabudowy domków jednorodzinnych, z własną drogą (współudział z sąsiadem).

Okolica spokojna, cicha. Całkiem niedaleko jest do szkoły z placem zabaw, boiskiem oraz przystankiem autobusowym. W miasteczku znajduje się również apteka i market/sklep. Miejscowość super się rozwija, stąd polecam gorąco!

Piękne miejsce do zamieszkania oraz osiedlenia się zarówno samemu, jak i z rodziną. Sąsiedzi super!

Informacje techniczne:
- Media: woda dociągnięta, skrzynka prądowa jest w granicy z sąsiadem.
- Działka: 1726 m² (nr 192/2) oraz droga (nr 192/1).
- Teren niezalewowy.

W razie dodatkowych pytań zapraszam do kontaktu.

  • Rakoszyce, gmina Środa Śląska, powiat średzki  
  • Na sprzedaż działka budowlana o powierzchni 1 726 m²  
  • Oferta bezpośrednio od właściciela dodana ponad miesiąc temu
Ta nieruchomość może być Twoja od.. sprawdź
46000 zł (20%) Okres spłaty: 30 lat

Podobne działki na sprzedaż

3
Działka budowlana Jastrzębce

162 150

3243

Działka budowlana na sprzedaż w Jastrzębcach, 30 km od Wrocławia. Powierzchnia 3243 m². Blisko nowo powstające osiedle i możliwość podłączenia do mediów. Droga dojazdowa utwardzona. Cena: 50 zl/m².

Zobacz ogłoszenie
4
Działka budowlana Kryniczno

240 000

2400

Sprzedam dwie działki budowlane 1. Działka budowlana ok. 2400 m2 (nr 281) 2. Działka budowlana ok. 2600 m2 (nr 282) Zgodnie z MPZP działka oznaczone jest MNU jako tereny zabudowy mieszanej – mieszkaniowej oraz usługowo-gospodarczej. Cena 100zł/m2 (do negocjacji) Zapraszam do kontaktu...

Zobacz ogłoszenie
3
Działka budowlana Rakoszyce, ul. Widokowa

209 500

1164

DZIAŁKI BUDOWLANE RAKOSZYCE UL. WIDOKOWA. Na sprzedaż dwie działki budowlane położone na nowym osiedlu domów jednorodzinnych w miejscowości Rakoszyce ul Widokowa. Cena 180 zł za metr (do negocjacji).To idealne miejsce dla osób szukających w spokoju nie rezygnując z pełnej infrastruktury i wygody. P...

Zobacz ogłoszenie
12
Działka budowlana Ciechów, ul. Wrzosowa

195 855

1451

Działka budowlana nr.504/9 AM-2 o powierzchni 1451m2 zlokalizowana na nowym osiedlu domków jednorodzinnych w miejscowości Ciechów. Działka posiada utwardzoną drogę dojazdową, w całości ogrodzona ogrodzeniem panelowym. Na działce znajdują się wszystkie media (woda, prąd, kanalizacja, szafka budowl...

Zobacz ogłoszenie
26
Działka budowlana Jastrzębce

240 000

3000

Bardzo atrakcyjne i ciekawie umiejscowione działki budowlane o pow. po ok. 3000 m2. WIĘCEJ INFORMACJI POD NR TEL. [numer]. Położone w miejscowości Jastrzębce, gmina Środa Śląska, powiat średzki, województwo dolnośląskie. Położone przy drodze gminnej. Działki objęte są miejscowym planem zagospodaro...

Zobacz ogłoszenie
1
Działka budowlana Wojczyce

275 000

2000

Piękna działka na obrzeżu wsi mierzącą ponad 20 ar. Zależy mi na sprzedaniu w całości lecz jeśli klient zażyczy sobie jedną działkę bądź dwie po 10 ar , też jest możliwość podziału, Media są przy działce do dociągnięcia w które wchodzą prąd, woda , kanalizacja. Wieś leży w gminie Środa Śląska do któ...

Zobacz ogłoszenie