Działka na sprzedaż bez pośredników
ul. Maślakowa Goręczyno

Działka budowlana Goręczyno, ul. Maślakowa. Zdjęcie 1

Działka na sprzedaż bez pośredników Goręczyno ul. Maślakowa

200 000
148 zł/m²
1 347
Goręczyno, Maślakowa - lokalizacja przybliżona
Bezpośrednio od właściciela

Jeśli nie potrzebujesz pośrednika, zaoszczędzisz około 6 000 zł. Potrzebujesz wsparcia? Skorzystaj z pomocy agenta.

Sprzedam działkę budowlaną w otulinie Kaszubskiego Parku Krajobrazowego. Prąd i woda przy działce. Ogrodzona z dwóch stron od sąsiadów. Działka z ustalonymi warunkami zabudowy.

  • ul. Maślakowa, Goręczyno, gmina Somonino, powiat kartuski  
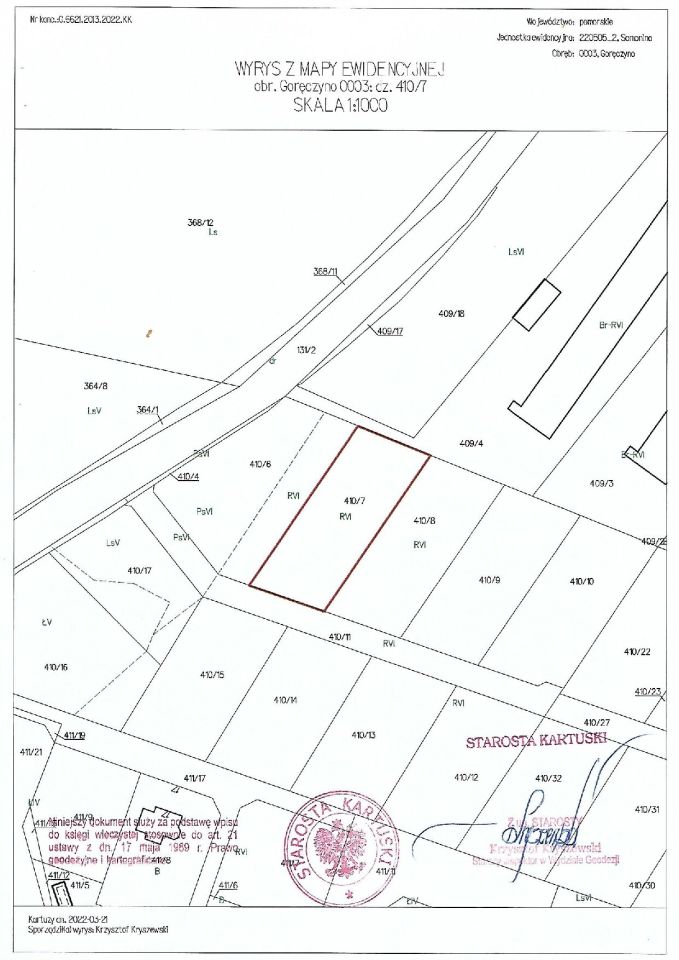
  • Na sprzedaż działka budowlana o powierzchni 1 347 m²  
  • Plan w serwisie geoportal.gov.pl Otwórz plan
  • Numer ewidencyjny działki 410/7
  • Dojazd polny
  • Ogrodzenie inne
  • Media woda, brak kanalizacji, prąd, gaz nieprzyłączony
  • Cena do negocjacji  
  • Oferta bezpośrednio od właściciela dodana ponad miesiąc temu i zaktualizowana ponad tydzień temu
Ta nieruchomość może być Twoja od.. sprawdź
40000 zł (20%) Okres spłaty: 30 lat

Podobne działki na sprzedaż

2
Działka budowlana Goręczyno, ul. Maślakowa

230 000

1279

Działka budowlana z ustalonymi warunkami zabudowy. Przyłącza ENERGA , WOD przy ulicy. Ulica Maślakowa - prostopadła do ul. Kasztelańskiej . Działka w pełni słoneczna ! Działka godna polecenia w obszarze Kaszubskiego Parku Krajobrazowego . Działka ogrodzona z trzech stron .

Zobacz ogłoszenie
7
Działka budowlana Ostrzyce, ul. Kasztelańska

190 050

1267

Witam, na sprzedaż jest działka budowlana nr.169/6, o powierzchni 1267 m2. położona w Ostrzycach, gmina Somonino, powiat Kartuski. Przy działce w drodze znajdują się woda i prąd. Działka objęta jest MPZP. Okolica jest bardzo malownicza, stwarza idealne warunki dla ludzi ceniących sobie spokój i cisz...

Zobacz ogłoszenie
1
Działka budowlana Somonino

270 000

2600

Witam. Mam na sprzedaż działkę w Somoninie: nr działki 115 (2600 m²), powiat kartuski, woj. pomorskie. W razie dodatkowych pytań proszę o kontakt telefoniczny lub wiadomość.

Zobacz ogłoszenie
1
Działka budowlana Somonino, ul. Witosławy

210 000

1132

Szanowni Państwo, ogłoszenie dotyczy działki w malowniczej miejscowości na Kaszubach. Nieruchomość położona jest w obrębie objętym miejscowym planem zagospodarowania przestrzennego z nadaną funkcją zabudowy mieszkaniowo - usługowej. Działka składa się z trzech numerów: 385/4, 328/25, 245/12. OPIS ...

Zobacz ogłoszenie
4
Działka budowlana Piotrowo

152 000

1602

Sprzedam działkę budowlaną o powierzchni 1602 m2 w Piotrowie, gm. Somonino, z bezpośrednim wjazdem drogi asfaltowej. Jest położona 2 km od Szymbarka (kolej metropolitalna) i drogi nr 20 do Kościerzyny. Działka o symbolu "MN" pozwala na zabudowę mieszkaniową jednorodzinną z możliwością lokalizacji ...

Zobacz ogłoszenie
1
Działka budowlana Goręczyno, ul. Kasztelańska

216 200

1086

Sprzedam działkę budowlaną w otulinie Kaszubskiego Parku Krajobrazowego . Działka z warunkami zabudowy. wyasfaltowany wjazd na działkę z ulicy Kasztelańskiej. działka godna polecenia.

Zobacz ogłoszenie