Radłów
ul. Osiedle Robotnicze
działka budowlana na sprzedaż Bez pośrednika

Działka budowlana Radłów, ul. Osiedle Robotnicze
Cena
120 000
Powierzchnia
978 m²
Cena za m²
123
Radłów · 120 000 zł

Ogłoszenie właściciela - bez pośredników

Działka budowlana Radłów, ul. Osiedle Robotnicze. Zdjęcie 1
Działka budowlana Radłów, ul. Osiedle Robotnicze. Zdjęcie 1

Bez pośrednika. Oszczędzasz 3 600 zł na prowizji pośrednika!

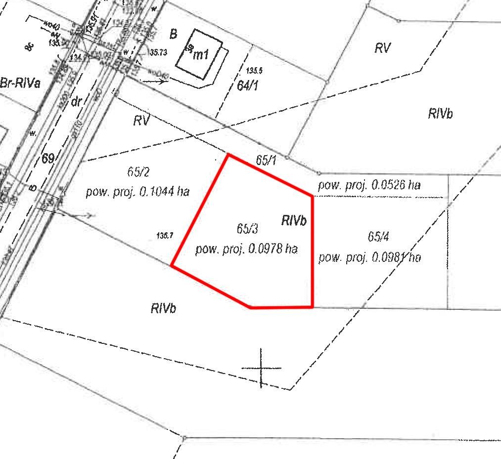
Działka budowlana w Radłowie przy ul. Osiedle Robotnicze. Do centrum Ostrowa Wlkp. 6,5 km.
Dojazd drogą asfaltową a następnie drogą wewnętrzną (działka nr 65\1, udział 1\4 w działce).
Przeznaczenie: grunt budowlany z warunkami zabudowy pod dom jednorodzinny.
Przyłącza infrastruktury technicznej przy ul. Osiedle Robotnicze.

  • ul. Osiedle Robotnicze, Radłów, gmina Raszków, powiat ostrowski
  • Na sprzedaż działka budowlana o powierzchni 978 m².
  • Zobacz plan w serwisie geoportal.gov.pl
  • Numer ewidencyjny działki: 65/3
  • Oferta dodana bezpośrednio przez właściciela ponad miesiąc temu i zaktualizowana 4 dni temu
Wróć
Największa baza ogłoszeń bez pośredników
Zarejestruj się, aby przejść dalej
lub

Kontynuując akceptujesz
Regulamin i Politykę prywatności

Masz już konto na adresowo.pl?
Zaloguj się

Mamy dla Ciebie kredyt hipoteczny z niską ratą! Chcesz poznać szczegóły?

Kontakt z VeloBank:
- ofertę, wniosek i decyzję o przyznaniu kredytu w procesie online,
- wsparcie eksperta hipotecznego na każdym kroku,
- kredyt do 90% wartości nieruchomości.





Wyrażam zgodę na przetwarzanie moich danych osobowych zawartych w formularzu na stronie adresowo.pl przez VeloBank S.A. z siedzibą w Warszawie przy Rondo Ignacego Daszyńskiego 2C (Bank), a tym samym na ich przetwarzanie, w tym profilowanie, przez Bank w celu marketingu produktów i usług Banku za pośrednictwem rozmowy telefonicznej i sms. Zgoda może być w każdej chwili wycofana. Cofnięcie zgody nie ma wpływu na zgodność z prawem przetwarzania danych przed jej wycofaniem.