Działka na sprzedaż bez pośredników
Stadła  

Działka budowlana Stadła. Zdjęcie 1

Działka na sprzedaż bez pośredników Stadła

180 000
180 zł/m²
1 000
Stadła - lokalizacja przybliżona
Bezpośrednio od właściciela

Jeśli nie potrzebujesz pośrednika, zaoszczędzisz około 5 400 zł. Potrzebujesz wsparcia? Skorzystaj z pomocy agenta.

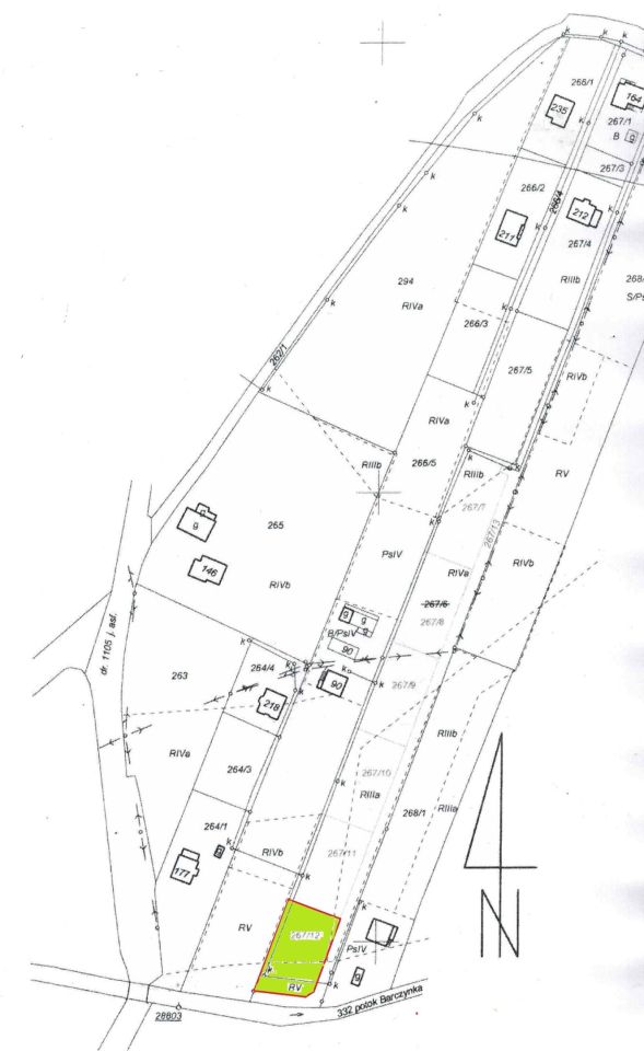
Działka budowlana położona w miejscowości Stadła, 8 km od Nowego Sącza, gmina Podegrodzie, Działka w kształcie prostokąta, szerokość około 26 m x38,5 m. położona na równym terenie w bezpośrednim sąsiedztwie osiedla domków jednorodzinnych. Na działce kanalizacja, wodociąg, prąd. Kanalizacja i wodociąg doprowadzone do każdej działki. Działka nasłoneczniona, idealne pod budowę domów jednorodzinnych, znajduje się bezpośrednio przy drodze gminnej.
Sprzedaje właściciel, bez pośredników.

  • Stadła, gmina Podegrodzie, powiat nowosądecki  
  • Na sprzedaż działka budowlana o powierzchni 1 000 m²  
  • Plan w serwisie geoportal.gov.pl Otwórz plan
  • Numer ewidencyjny działki 267/12
  • Wymiary Długość: 39 m, szerokość: 26 m
  • Dojazd utwardzony
  • Ogrodzenie bez ogrodzenia
  • Media woda, kanalizacja, prąd
  • Oferta bezpośrednio od właściciela dodana ponad miesiąc temu
Ta nieruchomość może być Twoja od.. sprawdź
36000 zł (20%) Okres spłaty: 30 lat

Podobne działki na sprzedaż

8
Działka budowlana Stadła

190 000

1000

Działka budowlana położona w miejscowości Stadła, 8 km od Nowego Sącza, gmina Podegrodzie, Działka w kształcie prostokąta, szerokość około 25,5 m x39 m. położona na równym terenie w bezpośrednim sąsiedztwie osiedla domków jednorodzinnych. Na działce kanalizacja, wodociąg, prąd. Kanalizacja i wodoci...

Zobacz ogłoszenie
8
Działka budowlana Przydonica

187 000

4000

Malowniczo położona działka w Przydonicy w gminie Gródek nad Dunajcem Przydonica –blisko natury i Jeziora Rożnowskiego Przydonica to malownicza wieś w gminie Gródek nad Dunajcem, której największym atutem jest bliskość Jeziora Rożnowskiego. Położenie w niedalekim sąsiedztwie wody sprawia, że okolica...

Zobacz ogłoszenie
4
Działka budowlana Gostwica

180 000

1100

działka budowlana położona w Kotlinie Sądeckiej w miejscowości Gostwica (gmina Podegrodzie) oddalona od Nowego Sącza o ok. 10 km, a od Starego Sącza 5 km. Przy ładnej pogodzie widać Tatry. Do 3 km szkoła, przedszkole, kościół, sklepy, parki linowy, Sądeckie centrum rekreacyjne. Cena: 180 000 zł (164...

Zobacz ogłoszenie
3
Działka budowlana Trzetrzewina

230 000

3600

Sprzedam działkę budowlaną o powierzchni 36 arów. Działka w miejscowości Trzetrzewina, położona bezpośrednio przy drodze gminnej, asfaltowej. Działka uzbrojona w prąd - na działce słup niskiego napięcia z możliwością przesunięcia do granicy. Możliwość przyłączu do wody, gminna linia wodociągowa ok...

Zobacz ogłoszenie
6
Działka budowlana Siedlce

199 999

3800

Działka budowlana w spokojnej okolicy 14 km od Nowego Sącza w m. Siedlce. Dojazd drogą gminna częściowo utwardzoną. W okolicy prąd. wodociąg a w przyszłości kanalizacja. Około 50 m od działki domy jednorodzinne, polecam i zapraszam do obejrzenia. Widok na działkę z drogi gminnej na pierwszym zdjęciu...

Zobacz ogłoszenie
5
Działka budowlana Stadła

200 000

1127

Działka budowlana położona w miejscowości Stadła, 8 km od Nowego Sącza, gmina Podegrodzie, Działka w kształcie prostokąta, szerokość około 22,5 m x 50 m. położona na równym terenie w bezpośrednim sąsiedztwie osiedla domków jednorodzinnych. Na działce kanalizacja, wodociąg, prąd. Kanalizacja i wodoci...

Zobacz ogłoszenie