Ostrów Wielkopolski
ul. Ignacego Krasickiego
działka budowlana na sprzedaż Bez pośrednika

Działka budowlana Ostrów Wielkopolski, ul. Ignacego Krasickiego
Cena
295 000
Powierzchnia
926 m²
Cena za m²
319
Ostrów Wielkopolski · 295 000 zł

Ogłoszenie właściciela - bez pośredników

Działka budowlana Ostrów Wielkopolski, ul. Ignacego Krasickiego. Zdjęcie 1
Działka budowlana Ostrów Wielkopolski, ul. Ignacego Krasickiego. Zdjęcie 1

Bez pośrednika. Oszczędzasz 8 900 zł na prowizji pośrednika!

Działka zlokalizowana w Ostrowie Wielkopolskim przy ulicy Ignacego Krasickiego.
Działka została objęta miejscowym planem zagospodarowania przestrzennego.
Front działki usytuowany jest od strony zachodniej a jego szerokość to około 20 metrów.
Media w ulicy: energia elektryczna, woda, kanalizacja oraz gaz.

  • ul. Ignacego Krasickiego, Ostrów Wielkopolski, powiat ostrowski
  • Na sprzedaż działka budowlana o powierzchni 926 m².
  • Zobacz plan w serwisie geoportal.gov.pl
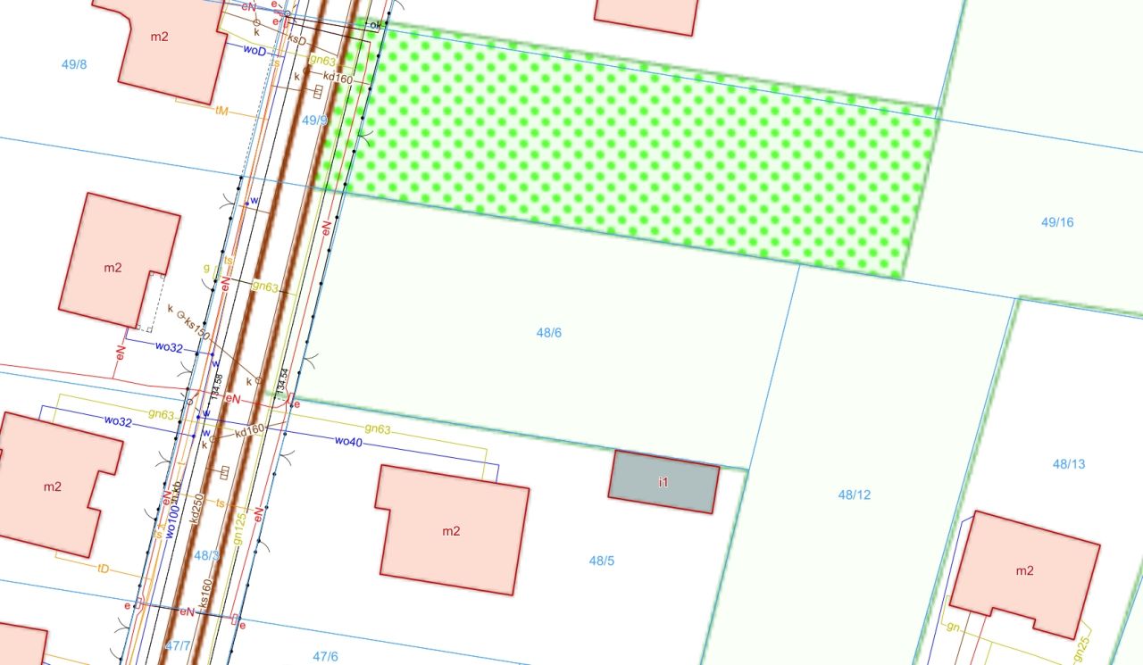
  • Numer ewidencyjny działki: 48/6
  • Długość: 45 m, szerokość: 21 m
  • Dojazd: utwardzony, ogrodzenie: siatka
  • Media: woda nieprzyłączona, kanalizacja, prąd, gaz nieprzyłączony
  • Cena do negocjacji
  • Oferta dodana bezpośrednio przez właściciela ponad tydzień temu i zaktualizowana 4 dni temu
Wróć
Największa baza ogłoszeń bez pośredników
Zarejestruj się, aby przejść dalej
lub

Kontynuując akceptujesz
Regulamin i Politykę prywatności

Masz już konto na adresowo.pl?
Zaloguj się

Mamy dla Ciebie kredyt hipoteczny z niską ratą! Chcesz poznać szczegóły?

Kontakt z VeloBank:
- ofertę, wniosek i decyzję o przyznaniu kredytu w procesie online,
- wsparcie eksperta hipotecznego na każdym kroku,
- kredyt do 90% wartości nieruchomości.





Wyrażam zgodę na przetwarzanie moich danych osobowych zawartych w formularzu na stronie adresowo.pl przez VeloBank S.A. z siedzibą w Warszawie przy Rondo Ignacego Daszyńskiego 2C (Bank), a tym samym na ich przetwarzanie, w tym profilowanie, przez Bank w celu marketingu produktów i usług Banku za pośrednictwem rozmowy telefonicznej i sms. Zgoda może być w każdej chwili wycofana. Cofnięcie zgody nie ma wpływu na zgodność z prawem przetwarzania danych przed jej wycofaniem.