Działka na sprzedaż bez pośredników
Harych Huta

Działka budowlana Huta Harych. Zdjęcie 1

Działka na sprzedaż bez pośredników Huta Harych

100 210
110 zł/m²
911
Huta Harych - lokalizacja przybliżona
Bezpośrednio od właściciela

Jeśli nie potrzebujesz pośrednika, zaoszczędzisz około 3 000 zł. Potrzebujesz wsparcia? Skorzystaj z pomocy agenta.

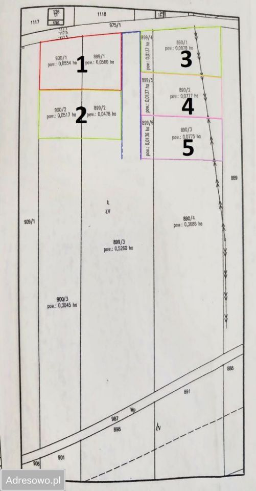
Sprzedam 5 osobnych działek budowlanych w obrębie Huty Harych. Najmniejsza działka o powierzchni 911 m², największa 1114 m². Ceny działek zależne od ceny za metr kwadratowy (110zł/m²). Działki zlokalizowane są w bardzo atrakcyjnej, spokojnej okolicy. W najbliższym sąsiedztwie znajdują się stacje paliw, Restauracja Kardamon, market Dino, 2 kilometry do centrum Odolanowa. Chętnych zapraszam do kontaktu pod podany numer telefonu.

  • Huta Harych, gmina Odolanów, powiat ostrowski  
  • Na sprzedaż działka budowlana o powierzchni 911 m²  
  • Oferta bezpośrednio od właściciela dodana ponad miesiąc temu i zaktualizowana ponad tydzień temu
Ta nieruchomość może być Twoja od.. sprawdź
20000 zł (20%) Okres spłaty: 30 lat

Podobne działki na sprzedaż

8
Działka budowlana Gorzyce Małe

127 000

2200

Sprzedam działkę budowlaną, 2200 mkw. Dojazd drogą asfaltową. Druga linia zabudowy przy lesie. Gorzyce Małe. Na wszystkie pytania odpowiem pod podanym w ogłoszeniu numerem telefonu. Pozdrawiam.

Zobacz ogłoszenie
1
Działka budowlana Huta

zapytaj

1042

Witam, sprzedam działki budowlane w miejscowości Huta w gminie Odolanów. Położenie 15 kilometrów od Ostrowa Wielkopolskiego. Nieopodal znajduje się przedszkole,szkoła podstawowa oraz sklep spożywczy. Działki położone są przy drodze głównej,media w ulicy więcej informacji pod telefonem....

Zobacz ogłoszenie
1
Działka budowlana Raczyce, ul. Słoneczna

100 000

2500

Na sprzedaż działka budowlana 396/8, położona w Raczycach (63-430) przy ul. Słonecznej 29. Powierzchnia: 2,5 tys. m2 (0,2500 ha). Bardzo spokojna i atrakcyjna lokalizacja. Nieruchomość posiada dostęp do wszelkich możliwych mediów, w tym kanalizacji. Działka ujęta w planie zagospodarowania przestr...

Zobacz ogłoszenie
2
Działka budowlana Świeca

92 000

1486

Na sprzedaż działka budowlana 857/10 w miejscowości Świeca. Powierzchnia 1486 m2. Media w drodze.

Zobacz ogłoszenie
2
Działka budowlana Raczyce, ul. Wiejska

82 500

1500

Sprzedam działkę budowlaną o powierzchni 1500m2 znajdującą się w miejscowości Raczyce przy ul. Wiejskiej. Działka posiada dostęp do mediów oraz jest położona przy drodze asfaltowej w sąsiedztwie domów jednorodzinnych. Dodatkowym atutem jest lokalizacja, która znajduje się w niedalekim położeniu od...

Zobacz ogłoszenie
4
Działka budowlana Huta

118 000

992

Sprzedam działkę w Hucie, blisko Odolanowa. Działka jest położona blisko lasów, w cichej, malowniczej miejscowości, gdzie człowiek się czuje jak na wakacjach. Dużym plusem jest dojazd w ciągu 3-4 minut do Odolanowa (trasa 4 km) oraz 16 km do Ostrowa Wlkp. Media przy drodze: - woda - prąd - gaz...

Zobacz ogłoszenie