Działka na sprzedaż bez pośredników
Krępa Kaszubska  

Działka budowlana Krępa Kaszubska. Zdjęcie 1

Działka na sprzedaż bez pośredników Krępa Kaszubska

99 550
110 zł/m²
905
Krępa Kaszubska - lokalizacja przybliżona
Bezpośrednio od właściciela

Jeśli nie potrzebujesz pośrednika, zaoszczędzisz około 3 000 zł. Potrzebujesz wsparcia? Skorzystaj z pomocy agenta.

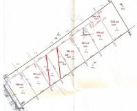
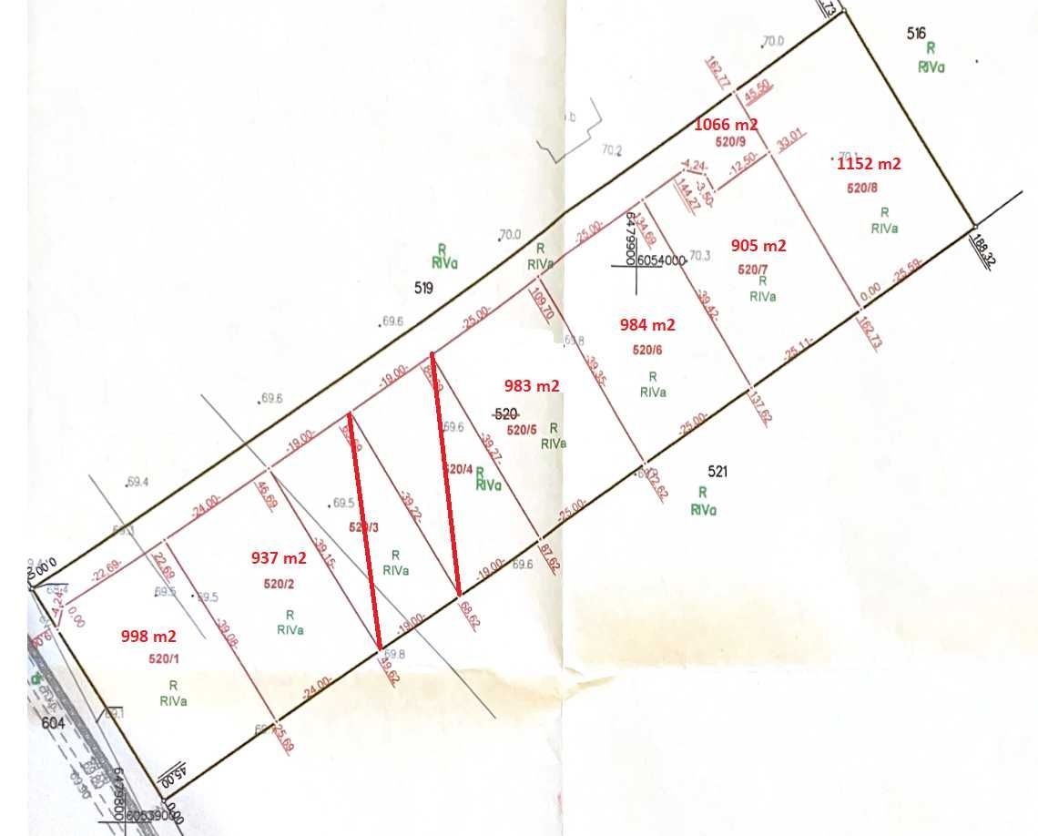
Na sprzedaż kompleks 6 działek budowlanych, położonych blisko siebie, z wydzieloną wewnętrzną drogą dojazdową, w miejscowości Krępa Kaszubska (gmina Nowa Wieś Lęborska).

Działki zlokalizowane są bezpośrednio przy drodze wojewódzkiej nr 214, z bardzo dobrym i wygodnym dojazdem. Idealna propozycja zarówno pod zabudowę jednorodzinną, jak i inwestycję.

- Możliwość kupienia wszystkich działek lub każdej z osobna (998 m2, 937 m2, 983 m2, 984 m2, 905 m2, 1152 m2)
- Wydzielona droga wewnętrzna
- Ustalone Warunki Zabudowy
- Dojazd: droga wojewódzka asfaltowa nr 214
- Ścieżka rowerowa bezpośrednio przy działkach
- Media:
- Energia elektryczna - przy granicy działek
- Woda - przy granicy działek
- Teren suchy, płaski, dobrze nasłoneczniony.

Krępa Kaszubska to spokojna, dobrze skomunikowana miejscowość, idealna do codziennego życia. W miejscowości oraz najbliższej okolicy znajdują się:

- Sklep spożywczy
- Szkoła podstawowa i przedszkole
- Plac zabaw, boisko
- Przystanki komunikacji autobusowej
- Liczne tereny zielone, lasy i trasy spacerowe.

Lokalizacja zapewnia szybki dojazd do kluczowych miejsc:
Lębork - ok. 10-12 minut
Łeba - ok. 20-30 minut
Trójmiasto (Gdańsk) - ok. 60-70 minut.

Zapraszamy na prezentację oferty oraz szczegółowe informacje. Sprzedaż bezpośrednio od właściciela. Bez pośredników.
Cena 1 m2/ 110 zł

  • Krępa Kaszubska, gmina Nowa Wieś Lęborska, powiat lęborski  
  • Na sprzedaż działka budowlana o powierzchni 905 m²  
  • Dojazd asfalt
  • Oferta bezpośrednio od właściciela dodana ponad miesiąc temu
Ta nieruchomość może być Twoja od.. sprawdź
20000 zł (20%) Okres spłaty: 30 lat

Podobne działki na sprzedaż

3
Działka budowlana Tawęcino

100 640

1184

Oferuje sprzedaż działek budowlanych z warunkami zabudowy o powierzchni 518/3 - 1184m2, 518/4 - 1186m2, 518/5 - 1188m2, 518/6 - 1190m2. Są one położone w miejscowości Tawęcino, gmina Nowa Wieś Lęborska, powiat lęborski. Do działek jest bezpośredni dojazd z drogi powiatowej, asfaltowej. Działki będą ...

Zobacz ogłoszenie
2
Działka budowlana Garczegorze Darżkowo

zapytaj

1000

Opis Działki budowlane w Darżkowie, gm. Nowa Wieś Lęborska - przy lesie. Na sprzedaż dziewięć działek budowlanych, położone w cichej i spokojnej miejscowości Darżkowo, zaledwie 10 km od Lęborka. Dojazd z głównej drogi na Łebę 300 metrów. Lokalizacja: Spokojna, zielona okolica, z dala od miejskieg...

Zobacz ogłoszenie
5
Działka budowlana Krępa Kaszubska

110 000

1003

.Sprzedam działkę budowlaną w Krępie Kaszubskiej. Powierzchnia całkowita wynosi 1003m ². Dobra lokalizacja 12 km do Lęborka I 18 km.do Łeby. Działka uzbrojona, teren płaski. Warunki zabudowy są wydane Zapraszam do kupna działki.

Zobacz ogłoszenie
3
Działka budowlana Nowa Wieś Lęborska, ul. os. Leśne

130 000

1500

Działka 1500 m² w Nowej Wsi Lęborskiej na nowo powstającym Osiedlu Leśnym. Numer działki: 376/26. Działka posiada warunki zabudowy. Możliwość podziału działki na 2 mniejsze. Sprzedaż prywatna. Więcej informacji pod numerem telefonu. Pośrednikom dziękuję.

Zobacz ogłoszenie
1
Działka budowlana Tawęcino

75 000

1098

Na sprzedaż atrakcyjna działka budowlana o powierzchni 1098 m², położona w spokojnej miejscowości Tawęcino, z bezpośrednim dostępem do asfaltowej drogi dojazdowej. Nieruchomość oddalona jest 17 km od centrum Lęborka oraz 28 km od Łeby, co zapewnia dogodny dojazd zarówno do miasta, jak i nad morze. ...

Zobacz ogłoszenie
1
Działka budowlana Czarnówko

110 000

1000

Sprzedam działki w dobrej lokalizacji w miejscowości Czarnówko okolice Lęborka. Działki w różnych wielkościach , położone na prostym terenie  pod lasem wjeżdżając ul. Świerkową.  Cicha i spokojna okolica z daleka od zgiełku miasta.  Cena: 110zł/m2 Zapraszam do kontaktu. W razie pytań proszę dzwon...

Zobacz ogłoszenie