Działka na sprzedaż bez pośredników
Kadłub  

NOWA OFERTA
Działka budowlana Kadłub. Zdjęcie 1

Działka na sprzedaż bez pośredników Kadłub

1 727 250
250 zł/m²
6 909
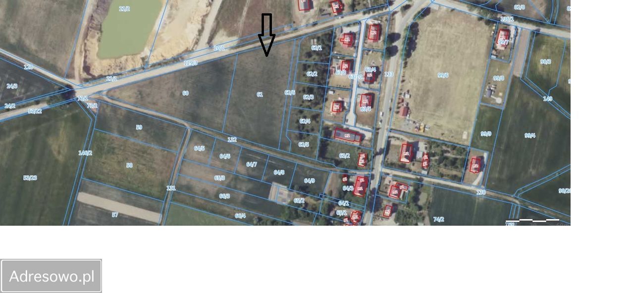
Kadłub - lokalizacja przybliżona
Bezpośrednio od właściciela

Jeśli nie potrzebujesz pośrednika, zaoszczędzisz około 51 800 zł. Potrzebujesz wsparcia? Skorzystaj z pomocy agenta.

Na sprzedaż grunt inwestycyjny o powierzchni 6909 m² w miejscowości Kadłub (gm. Miękinia).
Nieruchomość z wydanymi decyzjami o Warunkach Zabudowy na budowę 7 domów jednorodzinnych - idealna propozycja dla dewelopera lub osoby fizycznej.

CENA: 1 727 250 zł (250 zł/m²)

NAJWIĘKSZE ATUTY INWESTYCYJNE:
- WZ na 7 domów: Gotowy podział funkcjonalny terenu. Oszczędzasz czas i masz pewność co do potencjału działki.
- Piaszczyste podłoże (IVa/IVb): Kluczowe dla kosztów inwestycji - brak problemów z wodą gruntową i tani koszt fundamentowania domów.
- Teren płaski: Brak konieczności kosztownych prac ziemnych i niwelacji.
- Media pod ręką: Woda na działce, prąd w drodze, kanalizacja w bliskim sąsiedztwie.

MOŻLIWOŚĆ SKALOWANIA:
Dla inwestorów planujących większe osiedle: istnieje możliwość dokupienia sąsiedniej działki o podobnym metrażu, co pozwoli na realizację inwestycji na blisko 1,3 ha!

LOKALIZACJA:
Gmina Miękinia to obecnie jeden z najbardziej perspektywicznych obszarów w Polsce. Bliskość Wrocławia, Środy Śląskiej oraz dużych inwestycji.

MEDIA I DOJAZD:
- Woda: Na działce.
- Prąd: W drodze przy granicy.
- Kanalizacja: Sieć w pobliżu.
- Dojazd: Dogodny, zapewniający sprawną logistykę budowy.

Zapraszam do rozmów i na prezentację terenu!
Dokumentacja WZ do wglądu dla zainteresowanych.

  • Kadłub, gmina Miękinia, powiat średzki  
  • Na sprzedaż działka budowlana o powierzchni 6 909 m²  
  • Ogrodzenie bez ogrodzenia
  • Media woda, kanalizacja, prąd
  • Oferta bezpośrednio od właściciela dodana dodana dzisiaj
Ta nieruchomość może być Twoja od.. sprawdź
345000 zł (20%) Okres spłaty: 30 lat

Podobne działki na sprzedaż

6
Działka budowlana Żurawiniec, ul. Spokojna

1 395 000

3000

w Żurawińcu k.Leśnicy, gmina Miękinia, 3 km od Wrocławia, działka nr 288/2, przy ul. Spokojnej, działka o pow. 3.000 m2, wym. 61m(szerokość)x49 m, prąd, gaz, woda, telefon, oświetlenie uliczne, w bliskiej odległości przystanku PKS, na nowym osiedlu domów jednorodzinnych, b. dobra lokalizacja. Działk...

Zobacz ogłoszenie
1
Działka budowlana Lusina

zapytaj

34

Nowe

Na sprzedaż atrakcyjna działka - idealna pod działalność gospodarczą i zabudowę mieszkaniową .Stanowi doskonałą propozycje dla inwestora , jak i osób planujących budowę domu z możliwością prowadzenia firmy w tym samym miejscu . Atuty działki * duża powierzchnia 34-ary * przeznaczenie mieszkaniow...

Zobacz ogłoszenie
1
Działka budowlana Przedmoście

zapytaj

1370

Działka budowlana 1370 m² - Przedmoście, gm. Środa Śląska Na sprzedaż działka budowlana o powierzchni 1370 m², położona w miejscowości Przedmoście koło Środy Śląskiej. Nieruchomość ma front o długości 35,8 m i głębokość 40 m. Teren jest płaski, suchy, z bezpośrednim dostępem do drogi asfaltowej. ...

Zobacz ogłoszenie