Działka na sprzedaż bez pośredników
Sławoszyno  

Działka budowlana Sławoszyno. Zdjęcie 1

Działka na sprzedaż bez pośredników Sławoszyno

159 000
316 zł/m²
503
Sławoszyno - lokalizacja przybliżona
Bezpośrednio od właściciela

Jeśli nie potrzebujesz pośrednika, zaoszczędzisz około 4 800 zł. Potrzebujesz wsparcia? Skorzystaj z pomocy agenta.

Na sprzedaż atrakcyjna działka rekreacyjna w kształcie prostokąta o powierzchni 503 m², położona w Sławoszynie, w sąsiedztwie Karwieńskich Błot Pierwszych. Warunki zabudowy w trakcie realizacji jest możliwość przyłączenia do sieci energetycznej. W bezpośrednim sąsiedztwie działki znajdują się domy jednorodzinne i rekreacyjne oraz działki niezabudowane. Z jednej strony graniczy ona z drogą dojazdową do sąsiednich posesji tego samego typu, a z drugiej z ulicą bez połączenia z inną, co jest dużym atutem jeśli chodzi o parkowanie pojazdów poza posesją. Oszczędza to zdecydowanie miejsce. Działka znajduje się ok. 3 km od plaży w Karwii. Świetna lokalizacja dla osób poszukujących przestrzeni do rekreacji, jak i inwestorów rozważających zabudowę domku po wynajem sezonowy.

Lokalizacja i otoczenie:

• Plaża w Karwii - ok. 3 km
• Sklepy - Karwieńskie Błota Pierwsze - 1 km
• Las i tereny zielone - 3 km
• Zaplecze handlowe - Krokowa - 5 km
• Jastrzębia Góra - 10 km
• Jezioro Żarnowieckie - 13 km

  • Sławoszyno, gmina Krokowa, powiat pucki  
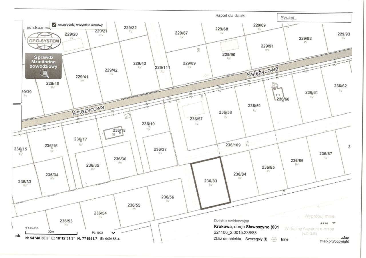
  • Na sprzedaż działka budowlana o powierzchni 503 m²  
  • Plan w serwisie geoportal.gov.pl Otwórz plan
  • Numer ewidencyjny działki 236/83
  • Wymiary Długość: 28 m, szerokość: 18 m
  • Dojazd utwardzony
  • Ogrodzenie bez ogrodzenia
  • Media brak kanalizacji, prąd nieprzyłączony
  • Oferta bezpośrednio od właściciela dodana ponad miesiąc temu i zaktualizowana ponad tydzień temu
Ta nieruchomość może być Twoja od.. sprawdź
32000 zł (20%) Okres spłaty: 30 lat

Podobne działki na sprzedaż

10
Działka budowlana Karwieńskie Błoto Pierwsze Sławoszynko

199 000

500

Kupując w Home Asset nie musisz się martwić się o formalności, kredyt hipoteczny, w tym z opcją zwrotu zadatku, bezpieczeństwo zakupu. O wszystko zadbamy. DZIAŁKA 500 m² Z WZ NA DOM 120 m² | 3 KM OD MORZA (KARWIA) | POTENCJAŁ INWESTYCYJNY Szukasz działki nad morzem, która daje realną możliwość zabud...

Zobacz ogłoszenie
7
Działka budowlana Jeldzino

188 000

1178

Lokalizacja: Jeldzino, gmina Krokowa, powiat pucki, woj. pomorskie - spokojna, malownicza wieś z dobrym dojazdem. Najważniejsze atuty: - Powierzchnia: 1 178 m² - idealna pod dom weekendowy lub całoroczny. - Media (woda, prąd, światłowód) doprowadzone do granicy działki - szybkie podłączenie. - Doja...

Zobacz ogłoszenie
5
Działka budowlana Tyłowo

139 000

600

Działki budowlane z projektem zagospodarowania przestrzennego i warunkami zabudowy. Woda, prąd, ogrodzenie. Media w drodze: - Prąd - Kanalizacja - Woda - Gaz Ogłoszenie nie stanowi oferty w rozumieniu prawa.

Zobacz ogłoszenie
23
Działka budowlana Wierzchucino, ul. Kapitańska

197 000

1163

Uzbrojona działka budowlana w Wierzchucinie gotowa pod zabudowę, 3km do jeziora i 5 km do plaży. Na sprzedaż 6 działek na tej samej ulicy : 1239m2 cena 247 000 zł działka nr 47/2 1313m2 cena 259 000 zł działka nr 47/3 1156m2 cena 219 000 zł działka nr 47/17 - SPRZEDANA 1163m2 cena 197 000 zł działk...

Zobacz ogłoszenie
4
Działka budowlana Goszczyno

207 650

4153

Szukasz dużej działki w spokojnym, nadmorskim regionie, z szybkim dostępem do morza i pełną infrastrukturą w pobliżu? Ta oferta jest dla Ciebie! Na sprzedaż atrakcyjna działka budowlana o łącznej powierzchni 4153 m2, nr ewidencyjny 358, położona w miejscowości Goszczyno, woj. pomorskie, powiat pucki...

Zobacz ogłoszenie
2
Działka budowlana Karwieńskie Błoto Pierwsze

197 000

717

Sprzedam działkę budowlaną o wymiarach 25x28 m w cenie działki rekreacyjnej. Działka o suchym, stabilnym podłożu - idealna pod budowę. Działka jest położona w cichej wsi. Dojazd utwardzony oraz asfaltowy ułatwia codzienne życie. Na działce dostępne są media: prąd, woda i kanalizacja. Brak ogrod...

Zobacz ogłoszenie