Działka na sprzedaż bez pośredników
Jeziora  

NOWA OFERTA
Działka budowlana Jeziora. Zdjęcie 1

Działka na sprzedaż bez pośredników Jeziora

88 000
80 zł/m²
1 100
Jeziora - lokalizacja przybliżona
Bezpośrednio od właściciela

Jeśli nie potrzebujesz pośrednika, zaoszczędzisz około 2 600 zł. Potrzebujesz wsparcia? Skorzystaj z pomocy agenta.

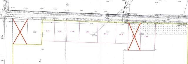
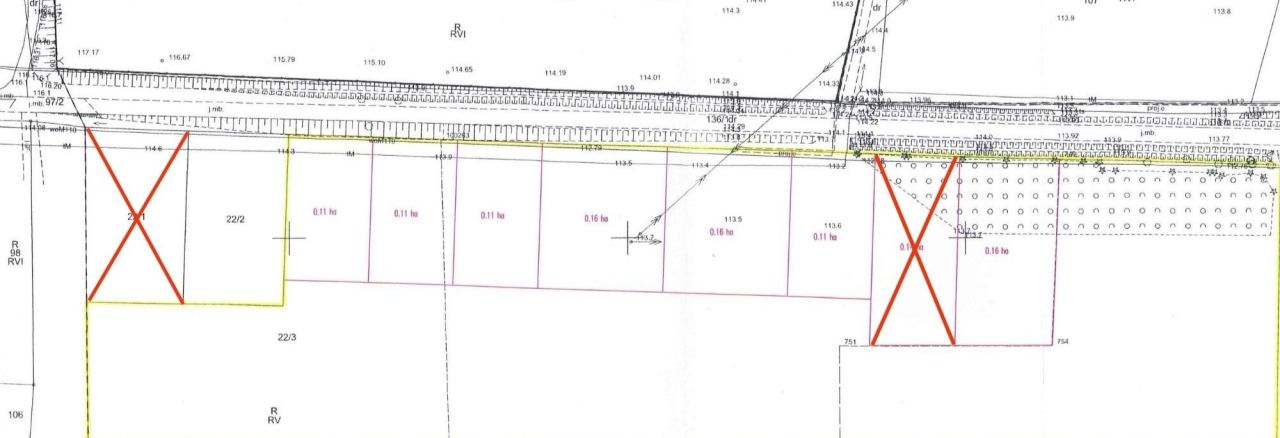
Działka o powierzchni 0.11ha pomiędzy Szkaradowem a Jeziorami (powiat rawicki).

Cena za metr kwadratowy wynosi 80 zł.

Media: woda, prąd oraz światłowód w pobliżu działki.

- 10 km od Milicza i 60 km od Wrocławia.
- Szkoła podstawowa oraz przedszkole - 3 km.

Zapraszam do kontaktu w wiadomości prywatnej i umówienia się na spotkanie przy dobrej kawie ;)

  • Jeziora, gmina Jutrosin, powiat rawicki  
  • Na sprzedaż działka budowlana o powierzchni 1 100 m²  
  • Oferta bezpośrednio od właściciela dodana dodana dzisiaj
Ta nieruchomość może być Twoja od.. sprawdź
18000 zł (20%) Okres spłaty: 30 lat

Podobne działki na sprzedaż

3
Działka budowlana Jeziora

95 000

1118

Posiadam na sprzedaż działkę budowlaną o powierzchni 1118 m, działka w kształcie prostokąta częściowo ogrodzona , wszystkie przyłącza blisko działki.

Zobacz ogłoszenie
2
Działka budowlana Dubin

80 000

1500

Sprzedam działki budowlane w Dubinie, gmina Jutrosin.

Zobacz ogłoszenie
5
Działka budowlana Szkaradowo

85 975

905

Na sprzedaż działki budowlane w samym centrum miejscowość Szkaradowo, gmina Jutrosin. Doskonała lokalizacja dla domów jednorodzinnych. Powierzchnia działek jest zróżnicowana – od 963 do 1178 mkw z Warunkami Zabudowy. Działki budowlane z zapewnieniem dostępu do mediów: - woda - kanalizacja sanitarn...

Zobacz ogłoszenie
6
Działka budowlana Białykał

85 800

1716

Działki budowlane w dorzeczu Doliny Baryczy z aktualnymi Warunkami Zabudowy. Lasy, stawy, ścieżki rowerowe, spokój i cisza, cóż więcej ? Działki budowlane o zróżnicowanej powierzchni posiadają media w drodze: prąd, woda, kanalizacja , gaz i światłowód w drodze. Powierzchnie działek od 1716 m2 do ...

Zobacz ogłoszenie
1
Działka budowlana Pawłowo

66 600

1332

Witam sprzedam działkę budowlaną z warunkami zabudowy w cichej i spokojnej okolicy blisko lasu

Zobacz ogłoszenie
2
Działka budowlana Szkaradowo

95 000

1000

Na sprzedaż działki budowlane w samym centrum miejscowość Szkaradowo, gmina Jutrosin. Doskonała lokalizacja dla domów jednorodzinnych. Powierzchnia działek jest 1000 mkw z warunkami zabudowy. Działki budowlane z zapewnieniem dostępu do mediów: - wody - prądu - internetu. W bardzo bliskiej odległo...

Zobacz ogłoszenie