Działka na sprzedaż bez pośredników
ul. Olszyńska Skrzyszów Olszyna

Działka budowlana Skrzyszów Olszyna, ul. Olszyńska. Zdjęcie 1

Działka na sprzedaż bez pośredników Skrzyszów Olszyna ul. Olszyńska

125 000
125 zł/m²
1 000
Skrzyszów Olszyna, Olszyńska - lokalizacja przybliżona
Bezpośrednio od właściciela

Jeśli nie potrzebujesz pośrednika, zaoszczędzisz około 3 800 zł. Potrzebujesz wsparcia? Skorzystaj z pomocy agenta.

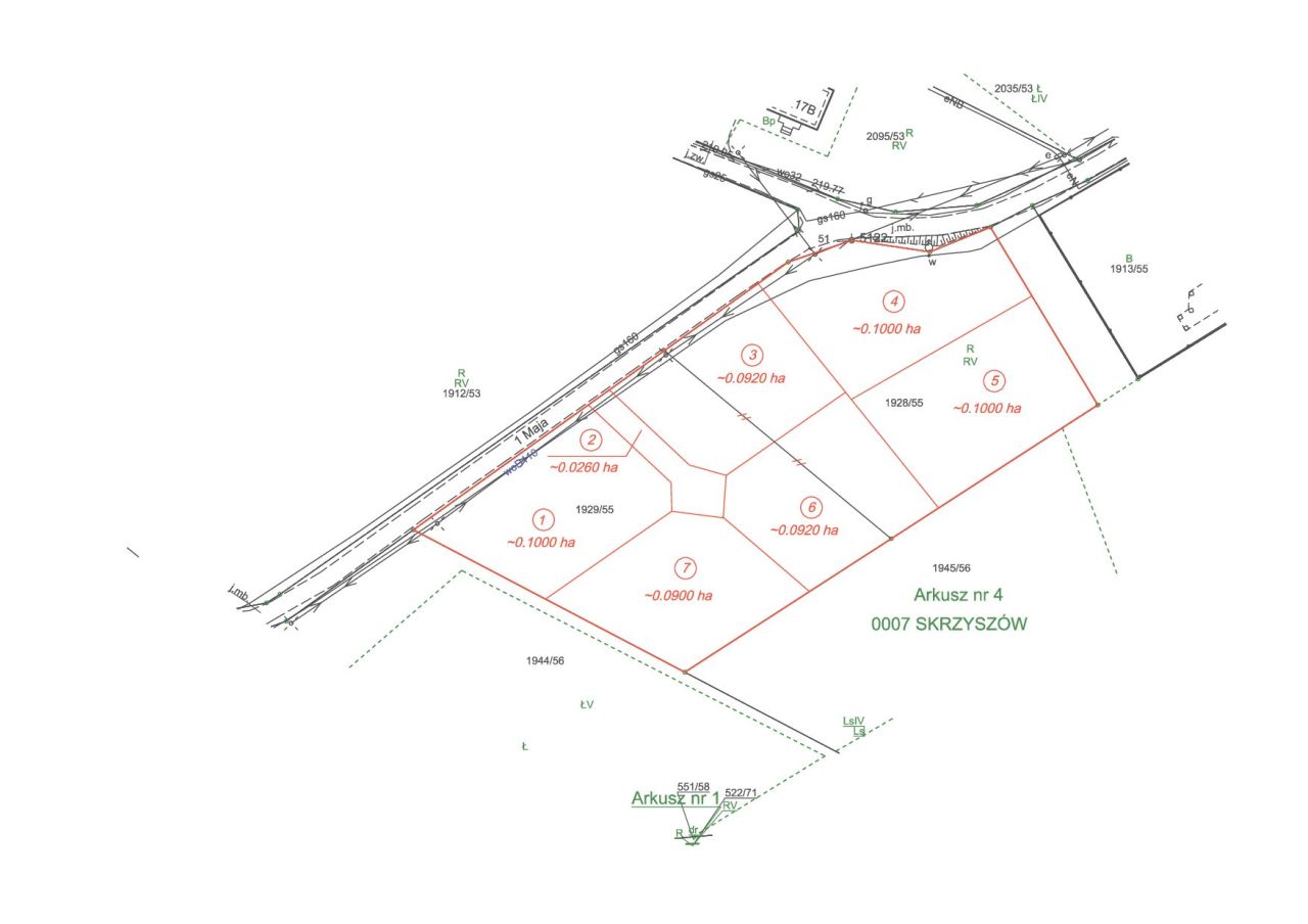
Sprzedam działkę/działki budowlane o powierzchni od 30 do 9 arów. Obecnie teren składa się z dwóch działek o łącznej powierzchni 60 ar /6000m2 (linia czerwona na załączonych zdjęciach) . Za miesiąc działki będą w procesie podziału. Na głównym zdjęciu (linia żółta) przedstawiony jest wstępny plan podziału . Na kolejnych zdjęciach jest również mapka ze wstępnym planem podziału. Na obecnym etapie jest jeszcze możliwość wprowadzenia zmian do planu podziału, w przypadku innych potrzeb potencjalnego nabywcy.
W przypadku nabywcy który byłby zainteresowany zakupem działki po powierzchni 30 arów (przed podziałem) Istnieje możliwość negocjacji ceny.

Działki zlokalizowane w cichej i przyjemnej okolicy przy ulicy Olszyńskiej w Skrzyszowie. Teren działek jest płaski, porośnięty trawą i sąsiaduje z niewielkim lasem. Dojazd do działek z drogi asfaltowej. W granicy działek przebiega linia wodociągowa, a linia gazociągu biegnie po drugiej stronie drogi. Uzbrojenie działek w energię elektryczną nastąpi do końca roku kalendarzowego.
Teren działek w miejscowym planie zagospodarowanie przestrzennego przeznaczony jest pod zabudowę jednorodzinną.

Pozostałe atuty lokalizacji :
- bliski wjazd na autostradę A1 (odległość do węzła Mszana 9 km , do węzła Łaziska - 8km);
- przystanek autobusowy w odległości 650m
- kościół w odległości 2,6 km
- ośrodek zdrowia, urząd gminy, Gminne Centrum Kultury – 3 km;
- szkoła podstawowa 1,6 km
- korty tenisowe w odległości 350m
- odległość do strefy ekonomicznej w Skrzyszowie – 2km, Strefa ekonomiczna w Czyżowicach – 12km, Amazon w Gorzyczkach – 7km;
- baseny i kąpieliska: MANTA w Wodzisławiu – 5km, NAUTIKA w Gorzycach – 8km , Kąpielisko w Jastrzębiu Zdroju – 6km;
- dla miłośników turystyki rowerowej bliska odległość do żelaznego szlaku rowerowego i rewelacyjnych ścieżek rowerowych na terenie Republiki Czeskiej.

  • ul. Olszyńska, Skrzyszów Olszyna, gmina Godów, powiat wodzisławski  
  • Na sprzedaż działka budowlana o powierzchni 1 000 m²  
  • Plan w serwisie geoportal.gov.pl Otwórz plan
  • Dojazd asfalt
  • Media woda
  • Oferta bezpośrednio od właściciela dodana ponad miesiąc temu i zaktualizowana ponad tydzień temu
Ta nieruchomość może być Twoja od.. sprawdź
25000 zł (20%) Okres spłaty: 30 lat

Podobne działki na sprzedaż

4
Działka budowlana Rydułtowy Radoszowy, ul. o. Augustyna Kordeckiego

170 610

3102

Działka znajduje się w gminie Rydułtowy, obwód Radoszowy, powiat wodzisławski, województwo śląskie. Powierzchnia działki: 3102 m2. Działka w kształcie prostokąta (15-20mx200m), dłuższy bok działki przebiega wzdłuż drogi gminnej. Działka posiada tylko jednego właściciela, bez udziałów innych osób, ni...

Zobacz ogłoszenie
4
Działka budowlana Pszów Krzyżkowice, ul. gen. Stefana Grota-Roweckiego

120 000

3039

Sprzedam działkę budowlaną o powierzchni 3039 m². Działka znajduje się w cichej, podmiejskiej lokalizacji, z dostępem do asfaltowej drogi (Pszów-Krzyżkowice, gen. Grota Roweckiego). Jest to ostatnia działka w linii zabudowy, następnie tereny zielone. W pobliżu dostępne są media: prąd oraz woda. To...

Zobacz ogłoszenie
1
Działka budowlana Krostoszowice

98 000

1100

Sprzedam nieruchomość gruntową położoną w Krostoszowicach o powierzchni 11 arów. Wszystkie media znajdują się na działce: - woda, - kanalizacja, - prąd. W bliskim sąsiedztwie znajduje się: - przystanek autobusowy, - sklep, - szkoła, - przedszkole, - kościół. Cena podlega negocjacji....

Zobacz ogłoszenie
2
Działka budowlana Godów, ul. Powstańców Śląskich

104 000

902

Sprzedam działkę budowlaną o powierzchni 902 m kw., zlokalizowana w cichej okolicy w Godowie przy ulicy Powstańców Śl. Teren działki jest płaski. W granicy działki przebiega linia wodociągowa, linia gazociągowa i linia elektryczna. Teren działki w miejscowym planie zagospodarowania przestrzennego p...

Zobacz ogłoszenie
5
Działka budowlana Krostoszowice, ul. Wodzisławska

100 000

1000

Sprzedam dwie działki dziesięcioarowe z dojazdem drogą utwardzoną w Krostoszowicach przy ulicy Wodzisławskiej. Pięknie położone w cichej i spokojnej lokalizacji. Cena działki 1: 100 000 zł. Cena działki 2: 120 000 zł.

Zobacz ogłoszenie
3
Działka budowlana Skrbeńsko, ul. Piotrowicka

155 000

1596

Na sprzedaż działka budowlana w miejscowości Skrbeńsko, ulica Piotrowicka, o powierzchni 1596 m². Działka znajduje się w spokojnej okolicy, idealnej na budowę domu. Doskonała lokalizacja zapewnia dostęp do wszystkich niezbędnych udogodnień oraz dobrą komunikację z większymi miastami. Szczegóły ofert...

Zobacz ogłoszenie