Działka na sprzedaż bez pośredników
ul. Stefana Żeromskiego Galewice Stefanek

NOWA OFERTA
Działka budowlana Galewice Stefanek, ul. Stefana Żeromskiego. Zdjęcie 1

Działka na sprzedaż bez pośredników Galewice Stefanek ul. Stefana Żeromskiego

109 000
114 zł/m²
960
Galewice Stefanek, Stefana Żeromskiego - lokalizacja przybliżona
Bezpośrednio od właściciela

Jeśli nie potrzebujesz pośrednika, zaoszczędzisz około 3 300 zł. Potrzebujesz wsparcia? Skorzystaj z pomocy agenta.

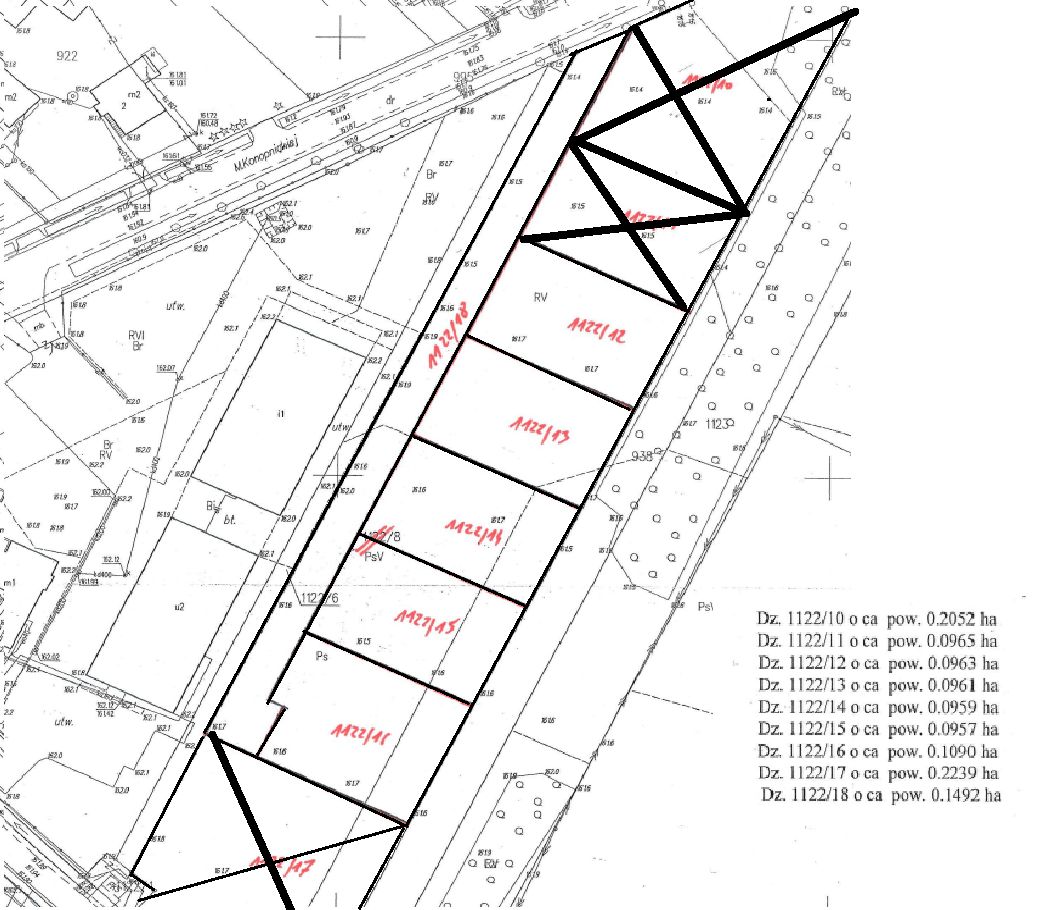
Na sprzedaży 5 działek budowlanych pod zabudowę budynków jednorodzinnych lub gospodarczych.

Umiejscowione we wsi Galewice, powiat wieruszowski, województwo łódzkie.
Działki położone są w cichej i spokojniejszej części Galewic ale z doskonałym dojazdem do centrum czy też dalszych kierunków. W pobliżu brak dużych gospodarstw rolnych, tuż obok jest las, okolica nie jest zatłoczona.

Odległości do obiektów w centrum wsi, z wygodnym chodnikiem do samego centrum:
-szkoła podstawowa, przedszkole, żłobek, ośrodek sportowy typu Orlik z placem zabaw, boiskami -2km
- markety Stokrotka, Biedronka, Dino, Żabka -2,5km
-ośrodek zdrowia -2km
-apteka -2,5km
-różne inne niezbędne obiekty handlowo usługowe na terenie całej wsi

Każda działka ma dostęp do drogi wewnętrznej, która łączy się bezpośrednio z asfaltową drogą powiatową. Doskonała komunikacja z drogą ekspresową S8 a jednocześnie położenie w spokojnej okolicy. Odległość od najbliższego zjazdu drogi S8 to 8km w kierunku Wrocławia lub 10km w kierunku Łodzi. Najbliższy ośrodek miejski, Wieruszów 10km.

Działki dostępne w sprzedaży:
- 1122/12 o pow. 963 mkw, szerokość 25 m, długość 38 m
- 1122/13 o pow. 961 mkw, szerokość 25 m, długość 38 m
- 1122/14 o pow. 959 mkw, szerokość 25 m, długość 38 m
- 1122/15 o pow. 957 mkw, szerokość 25 m, długość 38 m
- 1122/16 o pow. 1090 mkw,szerokość 30 m, długość 38 m

Wszystkie działki są świeżo po podziale większej działki według wydanej na nią WZ i w trakcie uzyskiwania Warunków Zabudowy już pojedynczo na poszczególne działki. Ponadto trwa proces uzbrajania każdej z nich. Sieć wodociągowa, sieć kanalizacyjna, linia energetyczna oraz światłowód będą umieszczone w ciągu drogi wewnętrznej z wyprowadzonymi przyłączami do każdej działki.

Cena mniejszych działek to 109 000 zł
Cena największej działki to 119 000 zł
Ceny do negocjacji

Serdecznie zapraszam do kontaktu telefonicznego, odpowiem na wszelkie pytania pod numerami
695 oraz 284 oraz 909 lub 669 oraz 121 oraz 281
Śmiało można również oglądać działki na żywo

Zamieszczone wyżej informacje nie stanowią oferty w rozumieniu Kodeksu Cywilnego, lecz mają charakter informacyjny

  • ul. Stefana Żeromskiego, Galewice Stefanek, powiat wieruszowski  
  • Na sprzedaż działka budowlana o powierzchni 960 m²  
  • Wymiary Długość: 38 m, szerokość: 25 m
  • Dojazd utwardzony
  • Ogrodzenie bez ogrodzenia
  • Media woda, kanalizacja, prąd
  • Cena do negocjacji  
  • Oferta bezpośrednio od właściciela dodana wczoraj
Ta nieruchomość może być Twoja od.. sprawdź
22000 zł (20%) Okres spłaty: 30 lat

Podobne działki na sprzedaż

5
Działka budowlana Kostrzewy

143 000

2200

Działka wraz z warunkami zabudowy w cichej miejscowości Kostrzewy obok Osowej. Cena za 1 ar: 6500 zł. Więcej informacji telefonicznie.

Zobacz ogłoszenie
12
Działka budowlana Osowa

82 000

1650

Sprzedam 4 urokliwe działki budowlane nieuzbrojone 16, 5 ara kazda.Działki znajdują się w miejscowości Osowa w cichej, spokojnej, malowniczej okolicy zdala od zgiełku .Dojazd drogą utwardzoną, ale nie asfaltową (ok.1km.).Niecałe 2km.do szkoły ,4 km.do marketu, Urzędu Gminy .Więcej informacji udzielę...

Zobacz ogłoszenie
8
Działka budowlana Wyszanów

115 000

1446

Działki budowlane na sprzedaż - Wyszanów (gmina Wieruszów) Na sprzedaż dwie działki budowlane, położone w miejscowości Wyszanów (gmina Wieruszów, woj. łódzkie). Działki posiadają wydane warunki zabudowy na budowę domu jednorodzinnego. Nieruchomość znajduje się w spokojnej okolicy, w sąsiedztwie zab...

Zobacz ogłoszenie
7
Działka budowlana Kolonia Osiek

90 000

850

Oferuję na sprzedaż działki budowlane w miejscowości Kolonia Osiek gm. Galewice, powiat Wieruszowski, woj. łódzkie. Teren położony jest w cichej i spokojnej okolicy z szybkim i łatwym dojazdem do miasta. Działki znajdują się przy drodze asfaltowej w miejscowości Kolonia Osiek - pomiędzy działkami wy...

Zobacz ogłoszenie
1
Działka budowlana Wieruszów, ul. Podzamcze

150 000

2400

Sprzedam działkę budowlaną o powierzchni 24 ary, położoną w Wieruszowie (Podzamcze). Media. Atrakcyjna, spokojna okolica. Jest decyzja o zabudowie i wstępne pozwolenia na podłączenia do sieci wodociągowej i energetycznej.

Zobacz ogłoszenie
1
Działka budowlana Wieruszów

120 000

1000

Sprzedam nieruchomość pod zabudowę jednorodzinną. Powierzchnia podana jak wyżej. Działka jest w sąsiedztwie nowo wybudowanego osiedla domów jednorodzinnych na Podzamczu za kościołem. Więcej informacji udzielę telefonicznie po godzinie 16:00 lub przez sms. „Niniejsze ogłoszenie nie stanowi oferty w...

Zobacz ogłoszenie