Działka na sprzedaż bez pośredników
Miasteczko Domaradz

Działka budowlana Domaradz Miasteczko. Zdjęcie 1

Działka na sprzedaż bez pośredników Domaradz Miasteczko

36 000
30 zł/m²
1 200
Domaradz Miasteczko - lokalizacja przybliżona
Bezpośrednio od właściciela

Jeśli nie potrzebujesz pośrednika, zaoszczędzisz około 1 100 zł. Potrzebujesz wsparcia? Skorzystaj z pomocy agenta.

Okazja sprzedam 3 działki budowlane położone w zacisznym miejscu przy lesie w centrum Domaradza, ok 15 min pieszo do Delikatesów Centrum.
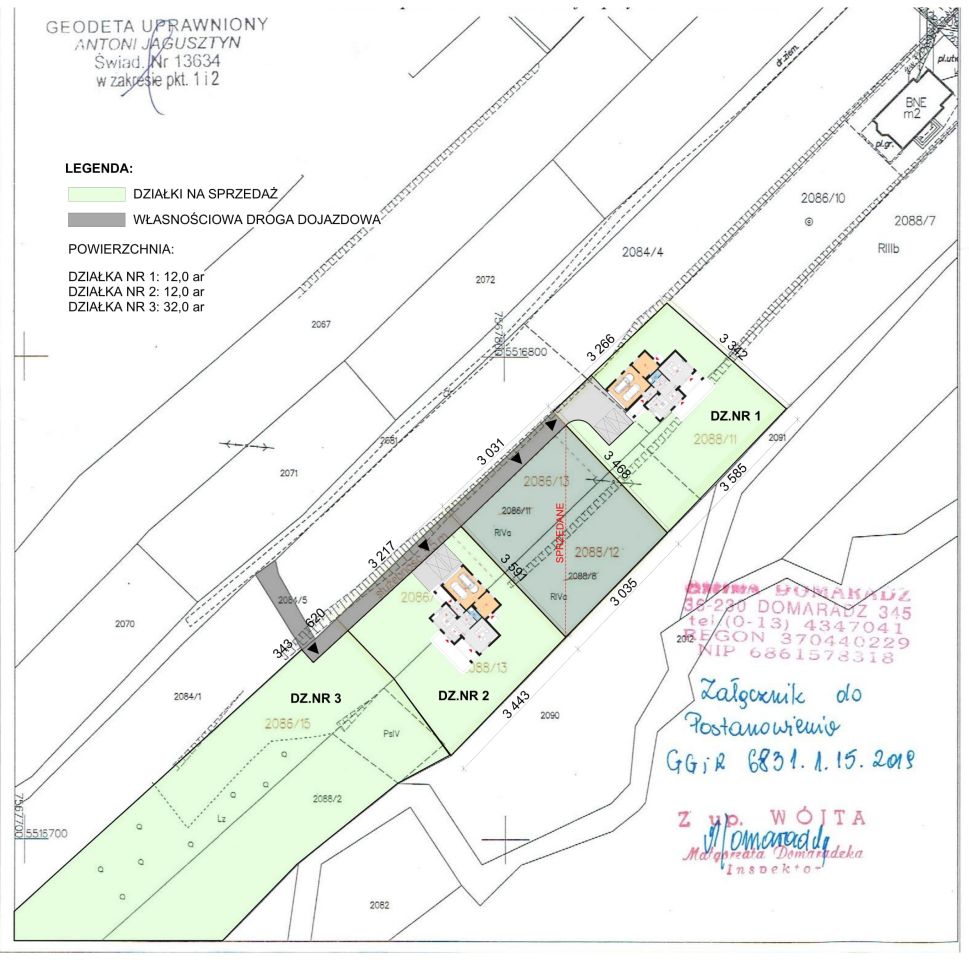
Działka nr 1 pow: 12,0 ar
Działka nr 2 pow: 12,0 ar
Działka nr 3 pow: 32,0 ar
Klasa gruntu działek : IVa. Lokalizacja działek, staje się bardzo atrakcyjną dzielnicą mieszkalną. Działka ma własny dojazd z drogi gminnej asfaltowej i częściowo utwardzonej.
Dużym atutem jest spokojna okolica, przestronna działka, brak hałasu generowanego z drogi głównej nr.9 i piękna otaczająca zieleń.
Wszystkie media takie jak prąd , woda i kanalizacja dostępne są z działki sąsiedniej.

  • Domaradz Miasteczko, powiat brzozowski  
  • Na sprzedaż działka budowlana o powierzchni 1 200 m²  
  • Plan w serwisie geoportal.gov.pl Otwórz plan
  • Numer ewidencyjny działki 2086/12, 2088/11
  • Wymiary Długość: 34 m, szerokość: 33 m, wymiary działki: 32x33x35x34 m
  • Dojazd asfalt
  • Oferta bezpośrednio od właściciela dodana ponad miesiąc temu i zaktualizowana ponad tydzień temu

Podobne działki na sprzedaż

1
Działka budowlana Witryłów Rzeki nad Sanem

46 000

1396

Sprzedam działkę budowlaną położoną w Witryłowie gmina Dydnia. Na działce prąd, w bliskim sąsiedztwie sieć kanalizacyjna, gazowa i wodociągowa. Działka położona jest kilkaset metrów od rzeki San w pięknej okolicy o cennych walorach przyrodniczo - krajobrazowych, bogatą florą i fauną, wieloma stawam...

Zobacz ogłoszenie
4
Działka budowlana Stara Wieś

49 000

2243

Sprzedam bezpośrednio dwie działki budowlane położone w Starej Wsi koło Brzozowa (5 km od centrum Brzozowa) o łącznej powierzchni 2243 m2. Powierzchnia pierwszej z działek wynosi 1121 m2, drugiej 1122 m2. Nieruchomość znajduje się w trzeciej i czwartej linii zabudowy. Dla każdej z działek wydane zos...

Zobacz ogłoszenie
1
Działka budowlana Domaradz

24 000

1200

Sprzedaż bezpośrednio od właściciela do czerwca 2025 r. Sprzedam działkę z możliwością zabudowy po uzyskaniu służebności przez działkę sąsiednią (dlatego tez cena jest adekwatna do jej stanu faktycznego w chwili obecnej). Po uzyskaniu służebności działka otrzymuje status działki budowlanej, co znac...

Zobacz ogłoszenie