Działka na sprzedaż bez pośredników
Ratowiec  

Działka budowlana Ratowiec. Zdjęcie 1

Działka na sprzedaż bez pośredników Ratowiec

172 852
79 zł/m²
2 188
Ratowiec - lokalizacja przybliżona
Bezpośrednio od właściciela

Jeśli nie potrzebujesz pośrednika, zaoszczędzisz około 5 200 zł. Potrzebujesz wsparcia? Skorzystaj z pomocy agenta.

Przepięknie położona działka pod budowę domu w bezpośrednim sąsiedztwie lasu, na obrzeżach Puszczy Knyszyńskiej, oddalona od Białegostoku 20 km (kierunek Sokółka, Czarna Białostocka).

W okolicy jest niewiele zabudowań, co sprawia, że okolica jest cicha, spokojna i bardzo zielona. W niewielkiej odległości płynie mała rzeczka, nad którą znajduje się stary, nieczynny, drewniany młyn.

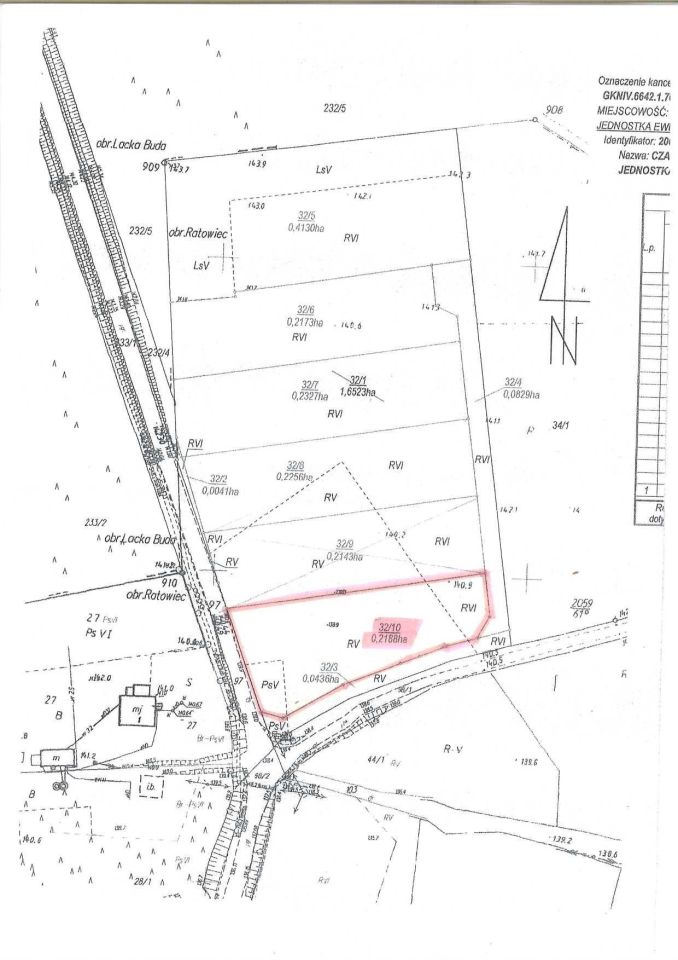
Działka ma powierzchnię 2188 m2, posiada księgę wieczystą i jest ujęta w gminnym planie zagospodarowania przestrzennego z przeznaczeniem pod zabudowę mieszkaniową. Działka jest położona na skrzyżowaniu dwóch lokalnych dróg, rzadko uczęszczanych przez okolicznych mieszkańców. Sąsiaduje od strony północnej z inną działką budowlaną. Do działki można wykonać wjazd z trzech różnych stron: południowej, zachodniej lub wschodniej od drogi wewnętrznej.

Działka jest nieuzbrojona.
- W planach inwestycyjnych gminy w najbliższych 2-3 latach znajduje się budowa wodociągu wzdłuż sąsiadującej z działką drogi lokalnej.
- Po przeciwnej stronie drogi sąsiadującej z działką, w pewnym oddaleniu, ustawiony jest transformator energetyczny, co ma znaczący wpływ na koszty doprowadzenia energii elektrycznej do posesji.
- Wzdłuż drogi lokalnej biegnącej przy działce jest pociągnięty światłowód, dostępny dla zainteresowanych właścicieli posesji.

W cenie działki został wliczony udział w drodze dojazdowej (wewnętrznej).

Miejsce położenia działki: Ratowiec.

W przypadku pytań zapraszam do kontaktu.

  • Ratowiec, gmina Czarna Białostocka, powiat białostocki  
  • Na sprzedaż działka budowlana o powierzchni 2 188 m²  
  • Media woda
  • Oferta bezpośrednio od właściciela dodana ponad miesiąc temu i zaktualizowana ponad tydzień temu
Ta nieruchomość może być Twoja od.. sprawdź
35000 zł (20%) Okres spłaty: 30 lat

Podobne działki na sprzedaż

5
Działka budowlana Waliły

191 000

3824

Waliły - miejsce z powstańczą historią. Waliły to spokojna wieś w gminie Gródek. Dojazd z Białegostoku drogą asfaltową (ok.30km). Te miejsce do życia uznał za najlepsze profesor sztuk plastycznych, światowej sławy malarz Leon Tarasewicz. Tutaj mieszka się „wolniej” niż w mieście Polecamy do zakup...

Zobacz ogłoszenie
1
Działka budowlana Klimki

120 000

1400

Sprzedam działkę budowlaną na skraju wsi Klimki, niedaleko zalewu w Czarnej Białostockiej. W okolicy jest dużo lasów. Do wsi jest dojazd drogą asfaltową. Mamy zgodę na podział działki. Do działki doprowadzony jest prąd i kanalizacja, woda jest w drodze dojazdowej. Teren jest ogrodzony drewnianym pło...

Zobacz ogłoszenie
4
Działka budowlana Turośń Dolna

210 000

3000

Sprzedam działkę budowlaną 3000 m² na terenie gminy Turośń Kościelna. 70 zł /m² do negocjacji. Więcej informacji pod numerem telefonu - Jan

Zobacz ogłoszenie
4
Działka budowlana Czarna Białostocka, ul. Brzozowy Mostek

181 730

1069

Oferuje działkę z warunkami zabudowy pod dom jednorodzinny. Działka w kształcie prostokąta o wymiarach 35m x 30m, daje duże możliwości aranżacji posadowienia domu. Doskonale nadaje się na dom parterowy. Do działki doprowadzony jest prąd, skrzynka elektryczna stoi na granicy działki. Doskonałe mie...

Zobacz ogłoszenie
4
Działka budowlana Ratowiec

240 000

1258

Na sprzedaż atrakcyjne działki położone w miejscowości Ratowiec, gmina Czarna Białostocka, ok. 20 km od Białegostoku, w pięknej, malowniczej okolicy. Nieruchomości zlokalizowane na obszarze objętym planem miejscowym, przeznaczone pod zabudowę letniskową, zabudowę mieszkaniową jednorodzinną i pensjo...

Zobacz ogłoszenie
7
Działka budowlana Czarna Białostocka

159 000

841

Sprzedam działki budowlane położone na Osiedlu Zielonym w Czarnej Białostockiej przy zbiegu ulicy Różanej i Młynowej o powierzchniach: 1127m² - 199 000 zł 841m² - 159 000 zł 913m² - 175 000 zł Działki suche, teren wyrównany, utwardzony. Brak MPZP, na nieruchomości zostały wydane warunki zabudowy. ...

Zobacz ogłoszenie