Działka na sprzedaż bez pośredników
ul. Ogrodowa Chełmno

Działka budowlana Chełmno, ul. Ogrodowa. Zdjęcie 1

Działka na sprzedaż bez pośredników Chełmno ul. Ogrodowa

109 900
85 zł/m²
1 286
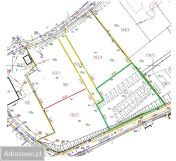
Chełmno, Ogrodowa - lokalizacja przybliżona
Bezpośrednio od właściciela

Jeśli nie potrzebujesz pośrednika, zaoszczędzisz około 3 300 zł. Potrzebujesz wsparcia? Skorzystaj z pomocy agenta.

Prywatnie, bez kosztów pośredników.

Posiadam na sprzedaż działkę położoną przy ul. Ogrodowej w Chełmnie.
Działka w cichej okolicy, pośród dużej ilości zieleni, przy mało ruchliwej drodze. Od drogi osłonięta zielenią.
5 minut pieszo do rynku, do 10 minut pieszo do szkół i przedszkoli.

Nieruchomość o powierzchni 1286 m², działka nr 183/3.

Działka objęta jest Miejscowym Planem Zagospodarowania Przestrzennego, który ustala:

1. Możliwość zabudowy mieszkaniowej jednorodzinnej i wielorodzinnej o maksymalna intensywność zabudowy 0,5 powierzchni działki.

2. Minimalna powierzchnia biologicznie czynna: 50 % powierzchni działki.

3. Maksymalna wysokość zabudowy mieszkaniowej:
a) jednorodzinnej - 2 kondygnacje, w tym poddasze użytkowe, nie wyżej niż 3,5 m do okapu dachu,
b) budynku wielorodzinnego - 3 kondygnacje, w tym poddasze użytkowe, nie wyżej niż 7,0 m do okapu dachu,
c) maksymalna wysokość zabudowy gospodarczej i garaży: 1 kondygnacja, nie wyżej niż 3,0 m do okapu dachu.

4. Obsługa komunikacyjna z wyznaczonych w planie ulic lokalnych i dojazdowych.

5. Architektura zabudowy:
1) mieszkaniowej:
a) dachy dwuspadowe, o jednakowym kącie nachylenia odpowiadających sobie połaci w zakresie 26° do 45°, kryte dachówką dla nowych realizacji oraz z pokryciem w kolorze naturalnych materiałów ceramicznych dla budynków przebudowywanych i rozbudowywanych, jednakowe dla wszystkich budynków na działce,
b) elewacje w kolorach materiałów naturalnych, z użyciem nie więcej niż dwóch różnych materiałów wykończeniowych lub kolorów do malowania elewacji zewnętrznej w jasnych pastelowych odcieniach;
2) budynków gospodarczych i garaży - dostosowana do zabudowy mieszkaniowej.

Media: w drodze.

Cena do negocjacji.

Działki 183/1, 183/2 i 183/4 są również na sprzedaż. Możliwość wyboru.

  • ul. Ogrodowa, Chełmno, powiat chełmiński  
  • Na sprzedaż działka budowlana o powierzchni 1 286 m²  
  • Dojazd utwardzony
  • Media woda, prąd, gaz
  • Cena do negocjacji  
  • Oferta bezpośrednio od właściciela dodana ponad miesiąc temu
Ta nieruchomość może być Twoja od.. sprawdź
22000 zł (20%) Okres spłaty: 30 lat

Podobne działki na sprzedaż

4
Działka budowlana Chełmno, ul. Żeglarska

128 500

1285

Prywatnie, bez kosztów pośredników. Posiadam na sprzedaż działkę położoną przy ul. Żeglarskiej w Chełmnie. Działka w cichej okolicy, pośród dużej ilości zieleni, przy mało ruchliwej drodze wewnętrznej z bezpośrednim wjazdem na działkę. 5 minut pieszo do rynku, do 10 minut pieszo do szkół i przedsz...

Zobacz ogłoszenie
4
Działka budowlana Chełmno, ul. Morelowa

85 000

572

Sprzedam działkę budowlaną przy ul. Morelowej 23. Nr działki: 131. Powierzchnia: 572 m². Do działki doprowadzona jest woda, prąd, kanalizacja. Możliwość podłączenia gazu, szybkiego internetu. Miejsce słoneczne, możliwość zbudowania domku z garażem. Zapraszam.

Zobacz ogłoszenie
3
Działka budowlana Chełmno, ul. Stroma

140 000

1284

Sprzedam działkę budowlaną na ulicy Stromej w Chełmnie. Powierzchnia działki wynosi 1284m2. Możliwość sprzedaży działki wraz z indywidualnym projektem budowlanym. Telefon kontaktowy

Zobacz ogłoszenie
4
Działka budowlana Chełmno, ul. Konwaliowa

149 000

1000

Witam, sprzedam piękną, ustawną działkę budowlaną w Chełmnie o wymiarach ok. 24m x 40m. Działka położona przy ulicy Konwaliowej (pozwolenie na zjazd wydane w 2026r). Można też dojechać od ulicy Storczykowej, oraz z drogi łączącej te 2 ulice. Działka podniesiona, zagospodarowana roślinnością, oraz...

Zobacz ogłoszenie
4
Działka budowlana Chełmno, ul. Konwaliowa

88 000

808

Do sprzedaży działka budowlana na ul.Konwaliowej.Działka nie ogrodzona,nie uzbrojona.Woda oraz prąd na granicy działki.Dojazd nowo budowaną drogą utwardzoną.Działka w zaniżeniu terenu.Objęta MPZP.Bardzo blisko do marketu oraz obwodnicy.Położona w spokojnej dzielnicy,blisko tereny zielone oraz rekrea...

Zobacz ogłoszenie
1
Działka budowlana Chełmno, ul. Wrzosowa

140 000

1199

Witam, sprzedam dwie działki budowlane na ul. Wrzosowej w Chełmnie. Cena za metr to 130 zł. Działki mają różne wymiary: - 680/21 ma wymiar 1199 m2, - 680/23 ma wymiar 1799 m2. Wszelkie zapytania proszę kierować pod numer telefonu.

Zobacz ogłoszenie