Działka na sprzedaż bez pośredników
Będzinko  

Działka budowlana Będzinko. Zdjęcie 1

Działka na sprzedaż bez pośredników Będzinko

105 000
105 zł/m²
1 000
Będzinko - lokalizacja przybliżona
Bezpośrednio od właściciela

Jeśli nie potrzebujesz pośrednika, zaoszczędzisz około 3 200 zł. Potrzebujesz wsparcia? Skorzystaj z pomocy agenta.

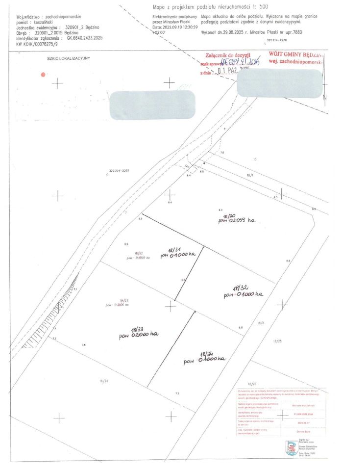
Sprzedam działki z warunkami zabudowy, położone w spokojnej okolicy, na pograniczu miejscowości Będzino i Będzinko, w pobliżu nieduży las.
Nieruchomość znajduje się około 4 km od morza, w sąsiedztwie miejscowości Sarbinowo, Chłopy, Gąski.
W ofercie:
Trzy działki o powierzchni ok. 10 ar o numerach 18/31, 18/32, 18/34.

Dwie działki o powierzchni ok. 20 ar o numerach 18/30, 18/33.
W pobliżu sklep, przedszkole, żłobek oraz urząd gminy. Idealne miejsce pod budowę domu całorocznego lub inwestycję - cisza, natura i bliskość morza w jednym.

  • Będzinko, gmina Będzino, powiat koszaliński  
  • Na sprzedaż działka budowlana o powierzchni 1 000 m²  
  • Oferta bezpośrednio od właściciela dodana ponad miesiąc temu
Ta nieruchomość może być Twoja od.. sprawdź
21000 zł (20%) Okres spłaty: 30 lat

Podobne działki na sprzedaż

4
Działka budowlana Smolne

65 000

3159

Działka budowla gmina Będzino, m. Smolne nr 95/5 o powierzchni 0,3159 ha, nie zabudowana wydane pozwolenie na budowę z dnia 23.08.2011 roku. Brak na działce wody i prądu BEZ POŚREDNIKÓW

Zobacz ogłoszenie
7
Działka budowlana Będzinko

95 000

1000

Posiadam do sprzedaży działki budowlane o nr 301/14 o powierzchni 0,1000 ha (z oczkiem wodnym) lub nr 301/15 o powierzchni 0,1026 ha, wraz z udziałem do drogi dojazdowej w miejscowości Będzinko (na trasie Koszalin-Kołobrzeg), która znajduje się w cichej okolicy, w odległości ok. 6 km od morza w pobl...

Zobacz ogłoszenie
11
Działka budowlana Łekno

95 000

1517

Działka budowlana z wydanymi warunkami zabudowy o powierzchni 1500 m². Położona w miejscowości Łekno, gmina Będzino, w urokliwej, zielonej okolicy, na małym wzgórzu z panoramicznym widokiem na pola, lasy i łąki. Lokalizacja: • 5 km w linii prostej do morza • 8 km do Sarbinowa • 12 km do Koszalina ...

Zobacz ogłoszenie
7
Działka budowlana Smolne

98 000

3007

Sprzedam działkę budowlaną - Smolne, gm. Dobrzyca, 3007 m² Na sprzedaż atrakcyjna działka budowlana o powierzchni 3007 m², położona w spokojnej i malowniczej miejscowości Smolne, gmina Dobrzyca. Teren idealny pod budowę domu jednorodzinnego lub letniskowego. Atuty działki: • Cicha, zielona okolic...

Zobacz ogłoszenie
8
Działka budowlana Będzino

110 000

1228

Działka budowlana w Będzinie (15 km od Koszalina) z wydaną decyzją o warunkach zabudowy, o powierzchni 1228 m². Dostępne media to prąd, woda i gaz. Działka jest sprzedawana z 1/5 udziałów w pasie drogowym zapewniającym dojazd (277/42). Działka blisko od Koszalina i Kołobrzegu oraz nadmorskiej miejsc...

Zobacz ogłoszenie
4
Działka budowlana Strzeżenice

90 000

1000

Sprzedam atrakcyjną działkę o wielkości 1000m2 w miejscowości Strzeżenice. Działka posiada ustalone warunki zabudowy pod budowę mieszkalną, jednorodzinną, wolnostojącą. Strzeżenice to spokojna, urocza okolica, znajdująca się w bliskim sąsiedztwie jeziora Jamno oraz Morza Bałtyckiego. Jeżeli szukasz...

Zobacz ogłoszenie