Ogłoszenie usunięte

Koszalin Jamno
ul. Jamneńska
działka budowlana na sprzedaż Bez pośrednika

Koszalin Jamno · 386 256 zł

Ogłoszenie właściciela - bez pośredników

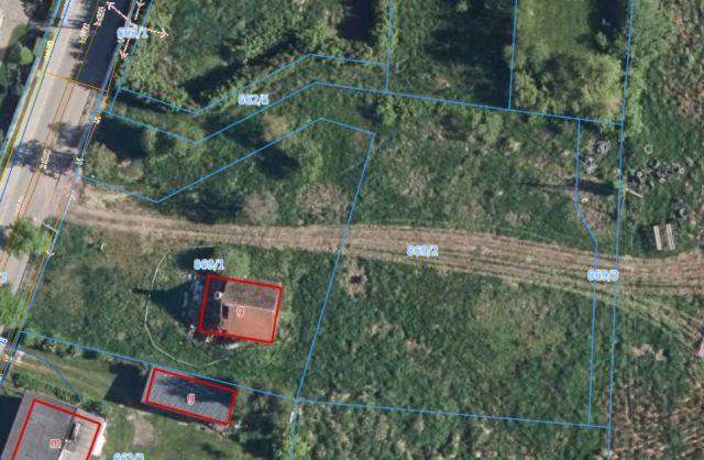
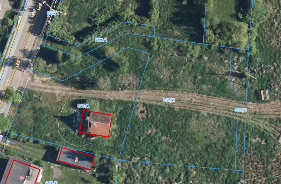
Działka budowlana Koszalin Jamno, ul. Jamneńska. Zdjęcie 1
Działka budowlana Koszalin Jamno, ul. Jamneńska. Zdjęcie 1

Bez pośrednika. Oszczędzasz 11 600 zł na prowizji pośrednika!

Dzień dobry
Sprzedam działki budowlane o wielkości 3180 m2 znajdujące się przy ul. Jamneńskiej w Koszalinie osiedle Jamno-Łabusz. Niedaleko centrum miasta i przystani Jeziora Jamno, bardzo szybki dojazd do drogi ekspresowej S6 oraz do nadmorskich miejscowości takich jak Kołobrzeg i Mielno.
1. Działka nr 869/1 o powierzchni 1254 m2 – na działce znajduję się budynek gospodarczy z pozwoleniem na rozbiórkę, który jest w większości zawalony, możliwość odzyskania czerwonej cegły. Działka znajduję się bezpośrednio obok powiatowej drogi asfaltowej.
2. Działka nr 869/2 o powierzchni 1926 m2 z działką 869/3 przeznaczoną w planie zagospodarowania na drogę (zdjęcie z wyrysu mapy ewidencyjnej w ogłoszeniu).
Działki są objęte obowiązującym planem zagospodarowania przestrzennego dla obszaru „Jamno-Centrum” w Koszalinie. Położone w obrębie ewidencyjnym 0053, teren oznaczony symbolem 28.MN/U.22 i 26i.MN/U.01 - teren zabudowy mieszkaniowej jednorodzinnej i usługowej.
Media takie jak woda, kanalizacja i gaz przechodzą w drodze obok działki 869/1 w pobliżu działki znajduję się również sieć energetyczna.
Cena za działki:
- działka nr 869/1 - 136 zł m2
- działka nr 869/2 - 112 zł m2
Zainteresowane osoby zapraszam do kontaktu

  • ul. Jamneńska, Koszalin Jamno
  • Na sprzedaż działka budowlana o powierzchni 3180 m².
ponad miesiąc temu
6
Działka budowlana Koszalin Łabusz, ul. Trzech Dębów

Koszalin Łabusz ul. Trzech Dębów Działka na sprzedaż

budowlana 2357 Bez pośrednika
335 000
142 zł / m²
ponad miesiąc temu
4
Działka budowlana Koszalin Kretomino

Koszalin Kretomino Działka na sprzedaż

budowlana 1500 Bez pośrednika
350 000
233 zł / m²
ponad miesiąc temu
2
Działka budowlana Koszalin, ul. Szmaragdowa

Koszalin ul. Szmaragdowa Działka na sprzedaż

budowlana 1312 Bez pośrednika
395 000
301 zł / m²
ponad miesiąc temu
6
Działka budowlana Koszalin Lubiatowo, ul. Światowida

Koszalin Lubiatowo ul. Światowida Działka na sprzedaż

budowlana 3277 Bez pośrednika
415 000
127 zł / m²
ponad miesiąc temu
8
Działka budowlana Koszalin Jamno, ul. Promowa

Koszalin Jamno ul. Promowa Działka na sprzedaż

budowlana 3201 Bez pośrednika
384 120
120 zł / m²
ponad tydzień temu
1
Działka budowlana Koszalin, ul. Lubiatowska

Koszalin ul. Lubiatowska Działka na sprzedaż

budowlana 1200 Bez pośrednika
399 000
333 zł / m²