Ogłoszenie usunięte

Tuczna

działka budowlana na sprzedaż Bez pośrednika

Tuczna · 90 000 zł

Ogłoszenie właściciela - bez pośredników

Działka budowlana Tuczna. Zdjęcie 1
Działka budowlana Tuczna. Zdjęcie 1

Bez pośrednika. Oszczędzasz 2 700 zł na prowizji pośrednika!

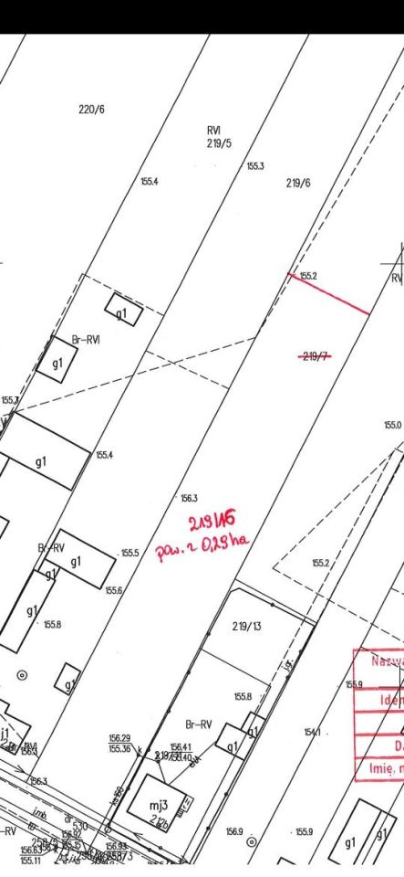
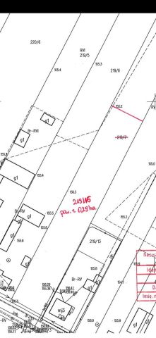
Ogłoszenie dotyczy działki budowlanej w miejscowości Tuczna, o numerze 219/16, o pow. 29 a, znajdującej się w MPZP jako MR.

Działka bezpośrednio przy nowej drodze asfaltowej.

Wszelkie media (uzbrojenie): kanalizacja, wodociąg, światłowód oraz prąd.

Wymiary ok. 21 m x 130 m.

Zapraszam do kontaktu.

  • Tuczna, powiat bialski
  • Na sprzedaż działka budowlana o powierzchni 2900 m².
  • Wymiary działki: 21 m x 130 m
  • Dojazd: asfalt
  • Media: woda, kanalizacja
ponad miesiąc temu
14
Działka budowlana Sławatycze, ul. Włodawska

Sławatycze ul. Włodawska Działka na sprzedaż

budowlana 3717 Bez pośrednika
122 000
33 zł / m²
ponad miesiąc temu
2
Działka budowlana Rzeczyca Przeciętka, ul. Przeciętka

Rzeczyca Przeciętka ul. Przeciętka Działka na sprzedaż

budowlana 2000 Bez pośrednika
100 000
50 zł / m²
ponad miesiąc temu
4
Działka budowlana Kwasówka

Kwasówka Działka na sprzedaż

budowlana 2292 Bez pośrednika
65 000
28 zł / m²
ponad miesiąc temu
1
Działka budowlana Wygoda

Wygoda Działka na sprzedaż

budowlana 2900 Bez pośrednika
125 000
43 zł / m²
ponad miesiąc temu
1
Działka budowlana Stary Pawłów

Stary Pawłów Działka na sprzedaż

budowlana 2100 Bez pośrednika
102 900
49 zł / m²
ponad miesiąc temu
1
Działka budowlana Młyniec

Młyniec Działka na sprzedaż

budowlana 3800 Bez pośrednika
zapytaj o cenę