Działka na sprzedaż bez pośredników
Borówno  

Działka budowlana Borówno. Zdjęcie 1

Działka na sprzedaż bez pośredników Borówno

260 000
87 zł/m²
3 000
Borówno - lokalizacja przybliżona
Bezpośrednio od właściciela

Jeśli nie potrzebujesz pośrednika, zaoszczędzisz około 7 800 zł. Potrzebujesz wsparcia? Skorzystaj z pomocy agenta.

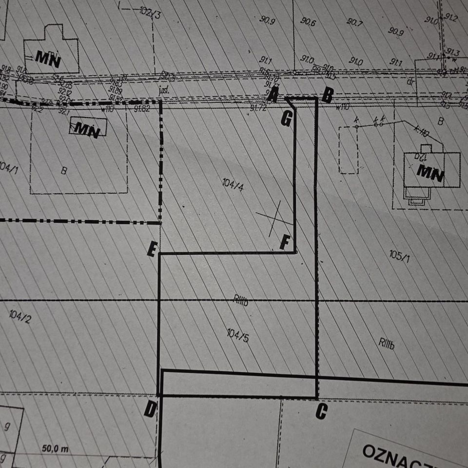
Sprzedam dwie działki budowlane, tworzące całość w kształcie prostokąta o całkowitej powierzchni 3000 m2.
Nieruchomości położone są we wsi Borówno, gmina Kowalewo Pomorskie.

Działka 104/4 ma powierzchnię 1376 m2, posiada bezpośredni dojazd z drogi utwardzonej (asfalt).

Działka 104/5 ma powierzchnię 1624 m2 i posiada dodatkowy 4 metrowy pas przeznaczony na drogę, który ma początek od drogi utwardzonej przez całą długość działki 104/4. Tym samym działka 104/5 posiada wyznaczoną drogę dojazdową.
Wszelkie media; woda, prąd znajdują się w drodze przy działce 104/4.
oraz światłowód drogą napowietrzną.

Nieruchomość sprzedaję tyko i wyłącznie jako całość.

Ogłoszenie nie jest ofertą w rozumieniu Kodeksu cywilnego. Jest zaproszeniem do składania ofert. W przypadku wątpliwości prosimy o kontakt.

  • Borówno, gmina Kowalewo Pomorskie, powiat golubsko-dobrzyński  
  • Na sprzedaż działka budowlana o powierzchni 3 000 m²  
  • Wymiary Długość: 104 m
  • Oferta bezpośrednio od właściciela dodana ponad miesiąc temu
Ta nieruchomość może być Twoja od.. sprawdź
52000 zł (20%) Okres spłaty: 30 lat

Podobne działki na sprzedaż

5
Działka budowlana Pusta Dąbrówka

zapytaj

2700

Sprzedam działkę budowlaną 27 arów we wsi Pusta Dąbrówka w powiecie golubsko - dobrzyńskim przy drodze powiatowej Brodnica -Golub Dobrzyń.Bardzo urokliwe miejsce położone wśród lasów(obfitujacych w grzyby) w dolinie rzeki Drwęcy z dala od przemysłu .Mnóstwo szlaków i atrakcji turystycznych w tym...

Zobacz ogłoszenie
2
Działka budowlana Kowalewo Pomorskie, ul. Działkowa

zapytaj

882

Sprzedam działki w Kowalewie Pomorskim • centrum miasta - ul. Działkowa • z wydanymi warunkami zabudowy (zabudowa jednorodzinna) • uzbrojenie terenu: gaz i woda w drodze dojazdowej Numery ewidencyjne działek, powierzchnia: 180/4 – 882 m2 180/5 – 874 m2 180/6 – 857 m2 180/7 – 1246 m2 180/8 – 1000...

Zobacz ogłoszenie
4
Działka budowlana Radomin

160 000

2200

Sprzedam działkę budowlaną 0,22 ha w Radominie przy drodze wojewòdzkiej Golub-dobrzyń-Rypin. Na wszystkie pytania odpowiem telefonicznie. Dostępne rownież inne działki. Podział na ostatnim zdjęciu.

Zobacz ogłoszenie
3
Działka budowlana Pruska Łąka

196 690

3026

ATRAKCYJNA DZIAŁKA NA SPRZEDAŻ Na sprzedaż atrakcyjna działka zlokalizowana w malowniczej miejscowości Pruska Łąka o powierzchni 3026 m2. Działka graniczy z Lasem Państwowym i jest położona w pobliżu serca natury: Doliny Drwęcy, która stanowi doskonałe miejsce do spacerów, wycieczek rowerowych oraz...

Zobacz ogłoszenie
2
Działka budowlana Nowogród

290 000

723

Piękna działka nad jeziorem Grodno pod Golubiem-Dobrzyniem. Działka pochylona w kierunku jeziora, bezpośrednio nad plażą. Super widoki i piękne, ciche okolice. Powierzchnia: 723 m². Numer działki: Nowogród 93/28. Działka w pełni ogrodzona: furtka x 2 (dół i góra działki), brama wjazdowa. Działka ...

Zobacz ogłoszenie
4
Działka budowlana Ostrowite

160 000

3500

Sprzedam działkę 3500 m² z warunkami zabudowy. Lokalizacja: blisko jeziora Ostrowite, gmina Lniano. - 200 m do jeziora, - około 500 m plaża miejska, - droga dojazdowa gminna.

Zobacz ogłoszenie