Działka na sprzedaż bez pośredników
Uniszowice  

Działka budowlana Uniszowice. Zdjęcie 1

Działka na sprzedaż bez pośredników Uniszowice

250 000
250 zł/m²
1 000
Uniszowice - lokalizacja przybliżona
Bezpośrednio od właściciela

Jeśli nie potrzebujesz pośrednika, zaoszczędzisz około 7 500 zł. Potrzebujesz wsparcia? Skorzystaj z pomocy agenta.

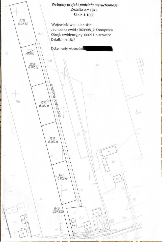
Sprzedam działki budowlane w Uniszowicach 8.

Działki przedstawione na projekcie podziału nieruchomości posiadają warunki zabudowy i media.

4 działki są wielkości 10 arów, natomiast jedna jest wielkości 11,95 ar.

Podana w ogłoszeniu cena jest za jedną działkę (25 000 zł / 1 ar).

Zainteresowanych zapraszam do kontaktu telefonicznego.

  • Uniszowice, gmina Konopnica, powiat lubelski  
  • Na sprzedaż działka budowlana o powierzchni 1 000 m²  
  • Oferta bezpośrednio od właściciela dodana ponad miesiąc temu i zaktualizowana ponad tydzień temu
Ta nieruchomość może być Twoja od.. sprawdź
50000 zł (20%) Okres spłaty: 30 lat

Podobne działki na sprzedaż

6
Działka budowlana Uniszowice

310 000

986

Oferujemy na sprzedaż trzy atrakcyjne działki budowlane położone w malowniczej miejscowości Uniszowice, gmina Konopnica. Każda z działek charakteryzuje się dogodnymi wymiarami i lokalizacją, idealną pod budowę domu jednorodzinnego. Szczegóły oferty: Działka nr 1: Powierzchnia: 985 m² Wymiary: 28 ...

Zobacz ogłoszenie
6
Działka budowlana Motycz-Józefin

330 000

5700

Oferujemy działkę składającą się z trzech mniejszych działek o powierzchni 57 arów o idealnych wymiarach 75m x 76m. Położoną w miejscowości Motycz-Józefin z bardzo wygodnym i szybkim dojazdem do centrum Lublina (13 km). Działka w studium przeznaczona pod zabudowę zagrodową. Prąd i woda obok dzia...

Zobacz ogłoszenie
4
Działka budowlana Motycz

270 000

2800

Działka do sprzedania - MOTYCZ - - Powierzchnia: 2 800 m -Regularny kształt ok. 33x83m - Wydane warunki zabudowy na budynek jednorodzinny - prąd na działce - Cena: 270 000 PLN Oferujemy usługę uzyskania pozwolenia na budowę Kredyt hipoteczny na sfinansowanie inwestycji Po więcej informacji zapra...

Zobacz ogłoszenie
5
Działka budowlana Motycz-Józefin

299 364

5700

Na sprzedaż działka o łącznej powierzchni 5700 m2 w Motyczu - Józefin, ok. 10 km od centrum Lublina. I linia zabudowy, dojazd drogą asfaltową, możliwość podziału działki. Sposób zagospodarowania terenu: Działka rolna z uzyskanymi warunkami zabudowy pod zabudowę mieszkaniową jednorodzinną na powietrz...

Zobacz ogłoszenie
4
Działka budowlana Motycz

300 000

3023

Na sprzedaż działka o powierzchni 3023 m2 w cichej i spokojnej okolicy, wraz z udziałem w drodze dojazdowej o szerokości 5 m w cenie. Działka rolna z możliwością uzyskania warunków do zabudowy jednorodzinnej lub siedliskowej. - Szerokość działki: około 45 m. - Długość: 64-70 m. - Odległość od drog...

Zobacz ogłoszenie
5
Działka budowlana Uniszowice

305 000

1200

Pośrednikom dziękuję, proszę nie dzwonić!! Do sprzedania działka z wydanymi warunkami zabudowy w miejscowości Uniszowice. Przez teren działki przebiega instalacja energetyczna i gazowa. Wystarczy podpisać umowę o podłączenie liczników. Jest również możliwość podłączenia gminnej instalacji wodociągo...

Zobacz ogłoszenie